New Search Family, Subfamily and Tribe List
new world both worldsboth worlds old world
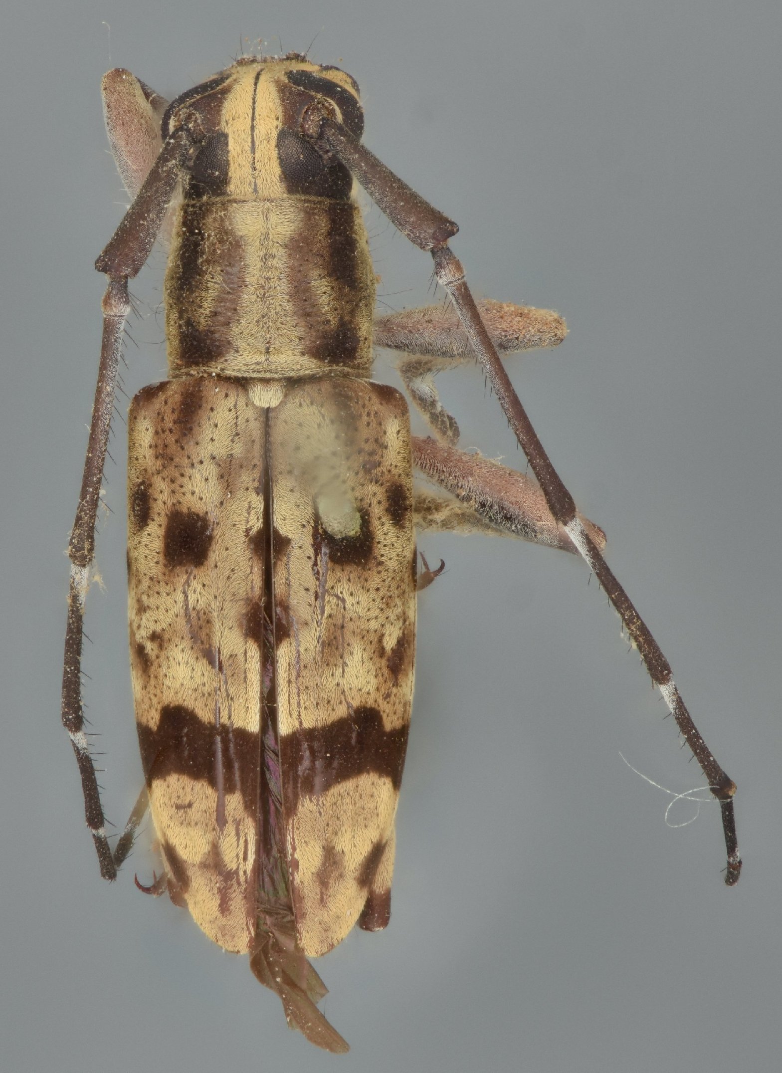
Family Lamiinae
SubFamily Lamiinae
Tribe Desmiphorini

Genus Pithomictus

Pithomictus
amboinicus
 

Pithomictus
decoratus


Pithomictus
elegans


Pithomictus
emandibularis

Pithomictus
papuanus
 
130503