New Search Family, Subfamily and Tribe List

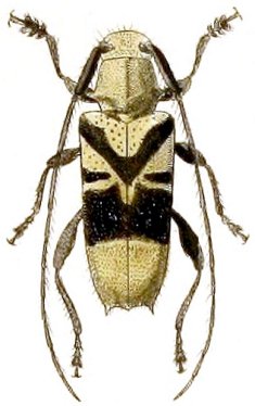
SubFamily Lamiinae

Tribe Desmiphorini
Pithomictus decoratus Pascoe 1864

Specimen Type: holotype
Photographer: Francesco Vitali, Cerambycoidea Forum
Collection Location: Morotai, Molucca Islands
57015

130425