New Search Family, Subfamily and Tribe List
new world both worldsboth worlds old world
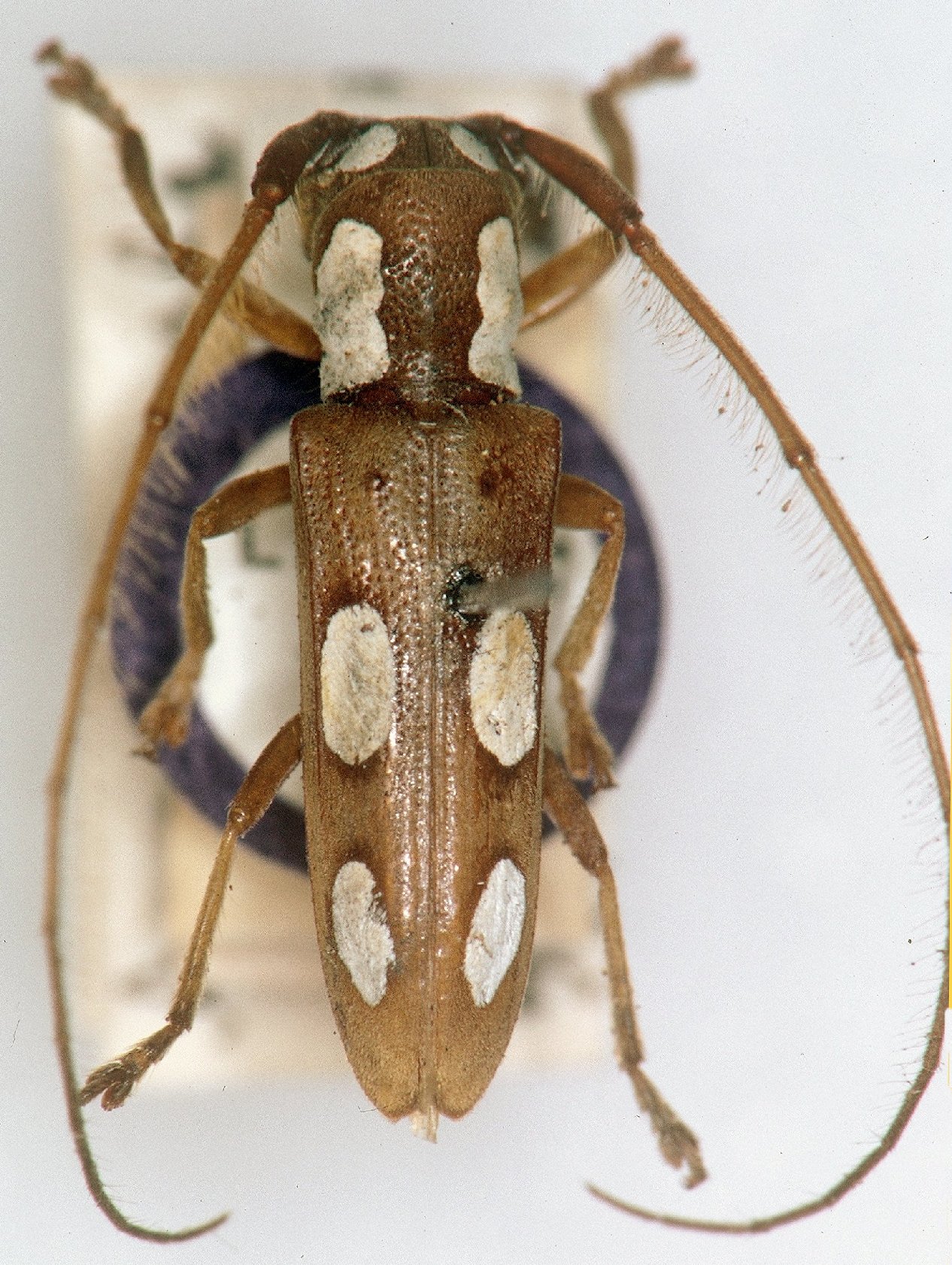
Family Lamiinae
SubFamily Lamiinae
Tribe Hemilophini

Genus Phoebella


Phoebella
albomaculata


Phoebella
phoebe


Phoebella
queirozae


Phoebella
tinga

130503