 Gahan BMNH Brazil now Phoebella Moure.jpg)
Amphionycha albomaculata Gahan Specimen Type: syntype Sex: f Institution: BMNH British Museum Natural History, London, UK Photographer: JS Moure Collection Location: Brazil 91511
|
_Det_Tippmann_(confirmed_Det_Wappes)_LGB_BMNH_Brazil.jpg)
Institution: NMNH United States National Museum, Washington, DC, USA Photographer: Larry G. Bezark Determiner: Tippmann, verified Wappes Collection Location: Brazil 20613
|
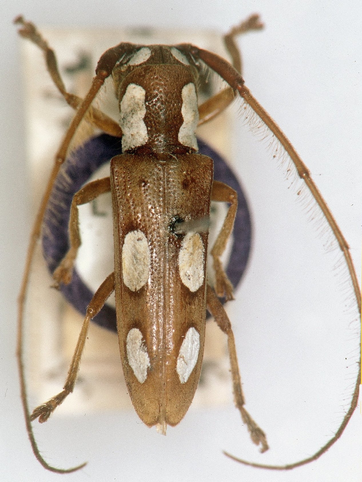
_(Gahan)_SSA_Aracruz_ES_Brazil.jpg)
Sex: m Institution: Suzano Collection, Espirito Santo, Brazil Photographer: Antonio Santos-Silva Collection Location: Aracruz, Espirito Santo, Brazil 72869
|
|