New Search
Family, Subfamily and Tribe List
Family
Lamiinae
SubFamily
Lamiinae
Tribe
Acanthoderini
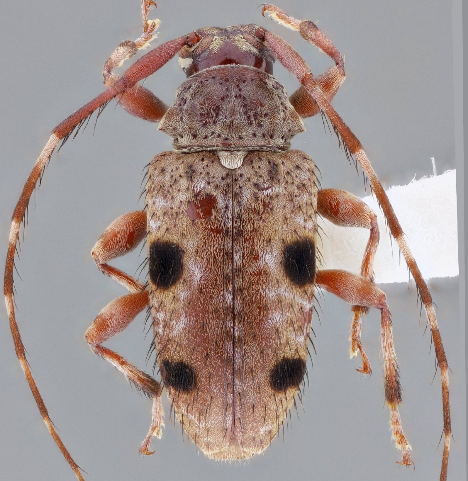
Genus
Penaherreraus
Penaherreraus
batesi
Penaherreraus
bilineatus
Penaherreraus
birai
Penaherreraus
centrolineatus
Penaherreraus
guyanensis
Penaherreraus
pradosiae
Penaherreraus
pubicornis
Penaherreraus
sarryi
130503