New Search Family, Subfamily and Tribe List

SubFamily Lamiinae

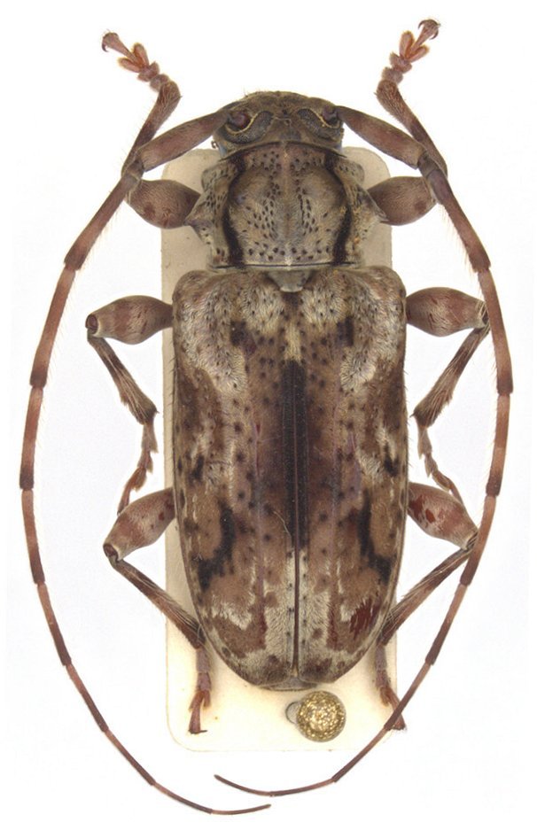
Tribe Acanthoderini
Penaherreraus guyanensis (Tavakilian & Peñaherrera-Leiva, 2003)

Photographer: Monne
Collection Location: Estação Ecológica de Maracá, Alto Alegre, Roraima, Brazil
29219


Photographer: Denis Faure
Collection Location: French Guiana
22419


Sex: fm
23763

130425