New Search Family, Subfamily and Tribe List
new world both worldsboth worlds old world
Family Lamiinae
SubFamily Lamiinae
Tribe Acanthocinini

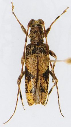
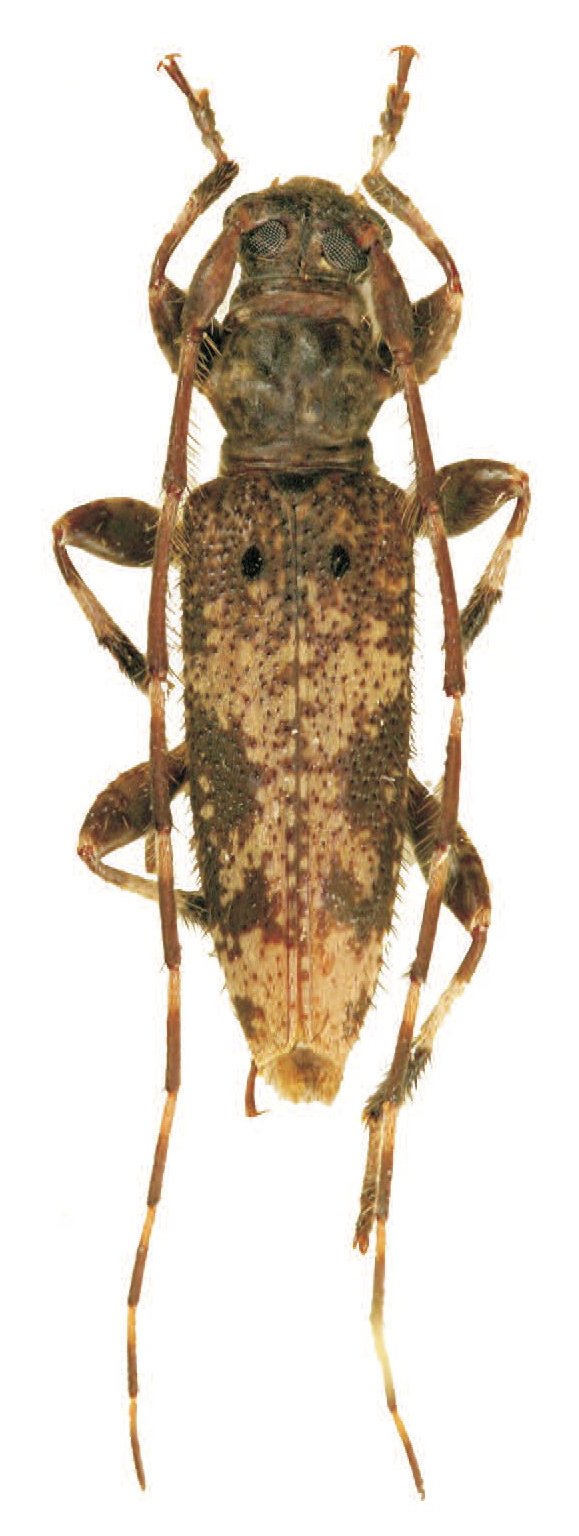
Genus Ostedes

Ostedes
albomarmorata
 

Ostedes
albosparsa

Ostedes
andamanica
 

Ostedes
assamana

Ostedes
bidentata
 

Ostedes
binodosa


Ostedes
borneana


Ostedes
brunneovariegata

Ostedes
coomani
 

Ostedes
densepunctata

Ostedes
dentata
 
Ostedes
discovitticollis
 
Ostedes
enganensis
 
Ostedes
griseoapicalis
 

Ostedes
griseoapicaloides

Ostedes
harmandi
 

Ostedes
inermis
dwabina


Ostedes
inermis
inermis


Ostedes
kadleci


Ostedes
laosensis

Ostedes
laterifusca
 
Ostedes
macrophthalma
 
Ostedes
niisatoi
 

Ostedes
ochreomarmorata


Ostedes
ochreopictus


Ostedes
ochreosparsus


Ostedes
pauperata


Ostedes
perakensis

Ostedes
rufipennis
 
Ostedes
serena
 
Ostedes
sikkimensis
 

Ostedes
spinipennis

Ostedes
subfasciata
 

Ostedes
subochreosparsus


Ostedes
subrufipennis


Ostedes
sumatrana

Ostedes
tonkinea
 
Ostedes
tuberculata
 

Ostedes
variegata

Ostedes
yamasakoi
 
130503