New Search Family, Subfamily and Tribe List

SubFamily Lamiinae

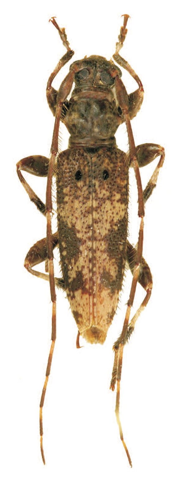
Tribe Acanthocinini
Ostedes borneana Breuning 1964

Sex: m
Institution: Vives Collection
Photographer: Eduard Vives
Collection Location: Mt Bawang, Kalimantan, Borneo
96944


Sex: m
Photographer: Makihara
55235

130425