New Search
Family, Subfamily and Tribe List
Family
SubFamily
Tribe
Disteniini
Genus
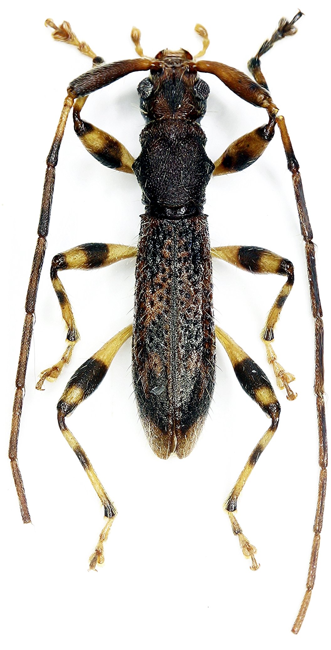
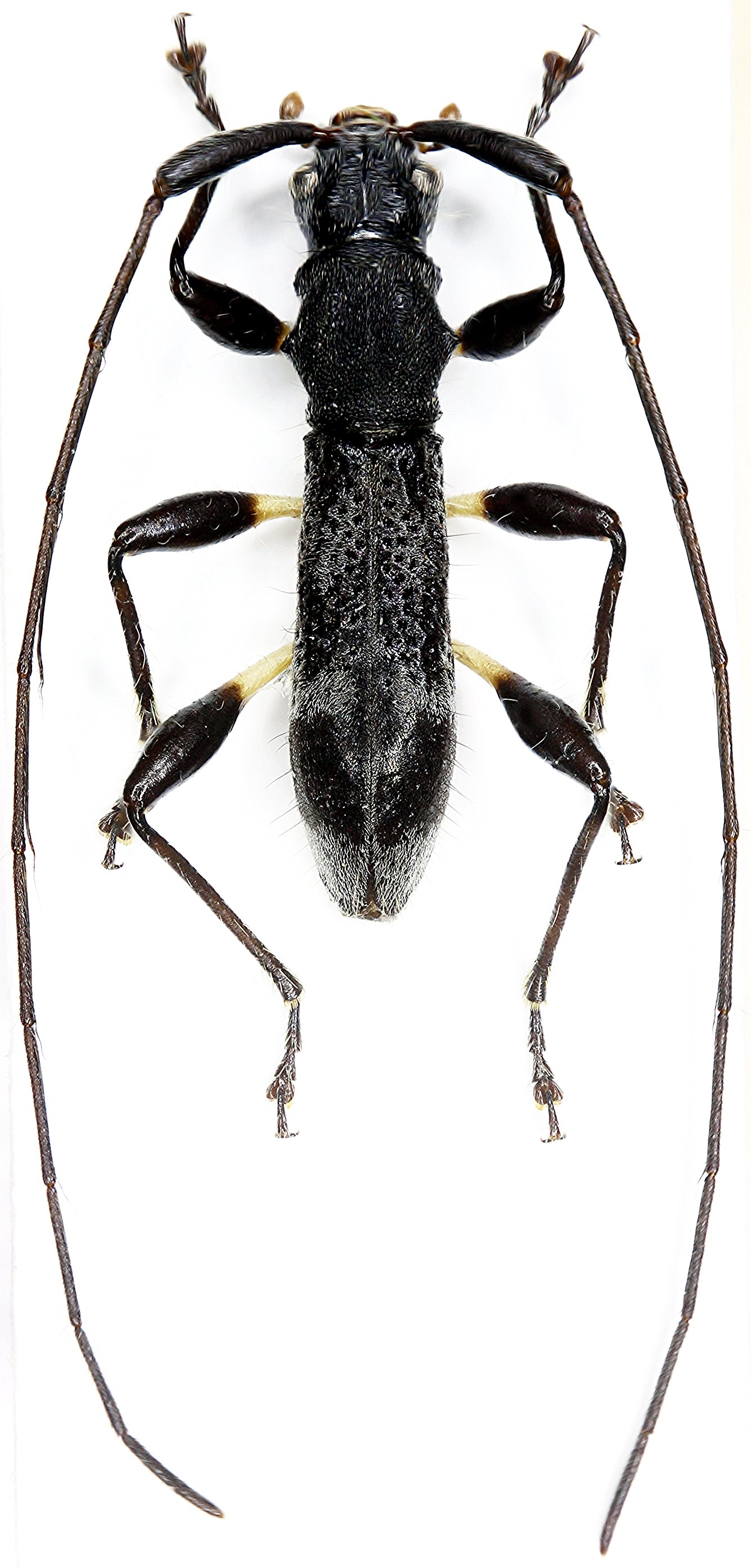
Olemehlia
Olemehlia
holzschuhi
Olemehlia
mystica
130503