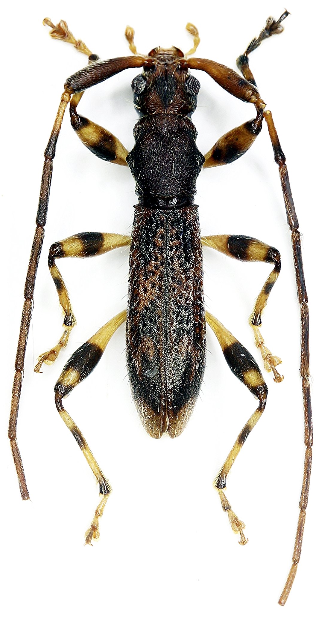
_Holzschuh_CHS_Cam_Ly_area_Da_Lat_Vietnam.jpg)
Specimen Type: holotype Sex: f Institution: Holzschuh Collection Determiner: Entomologica Basiliensa et Collectionis Frey Collection Location: Cam Ly area, Da Lat, Vietnam 55018
|
 Holzschuh Bidoup NP, Lam Dong Province, Vietnam Skale coll pic.jpg)
Sex: m Institution: Skale Collection Photographer: Andre Skale Collection Location: Bidoup National Park, Lam Dong Province, Vietnam 98755
|