New Search Family, Subfamily and Tribe List
new world both worldsboth worlds old world
Family Cerambycinae
SubFamily Cerambycinae
Tribe Phoracanthini

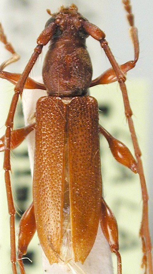
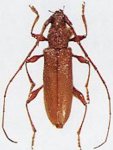
Genus Nysina


Nysina
asiatica


Nysina
baibarana

Nysina
boninensis
 

Nysina
fenestrellus


Nysina
gracillima


Nysina
grahami


Nysina
insularis
amamiensis


Nysina
insularis
insularis

Nysina
insularis
yamagamii 

Nysina
orientalis


Nysina
rubriventris


Nysina
rufescens


Nysina
sauteri


Nysina
subtuberculata

130503