New Search Family, Subfamily and Tribe List

SubFamily Cerambycinae

Tribe Phoracanthini
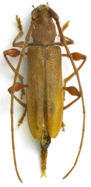
Nysina subtuberculata (Pic, 1933)

Sex: f
Photographer: Shulin Yang, Cerambycoidea Forum
Collection Location: Guizhou, China
54672

130425