New Search Family, Subfamily and Tribe List
new world both worldsboth worlds old world
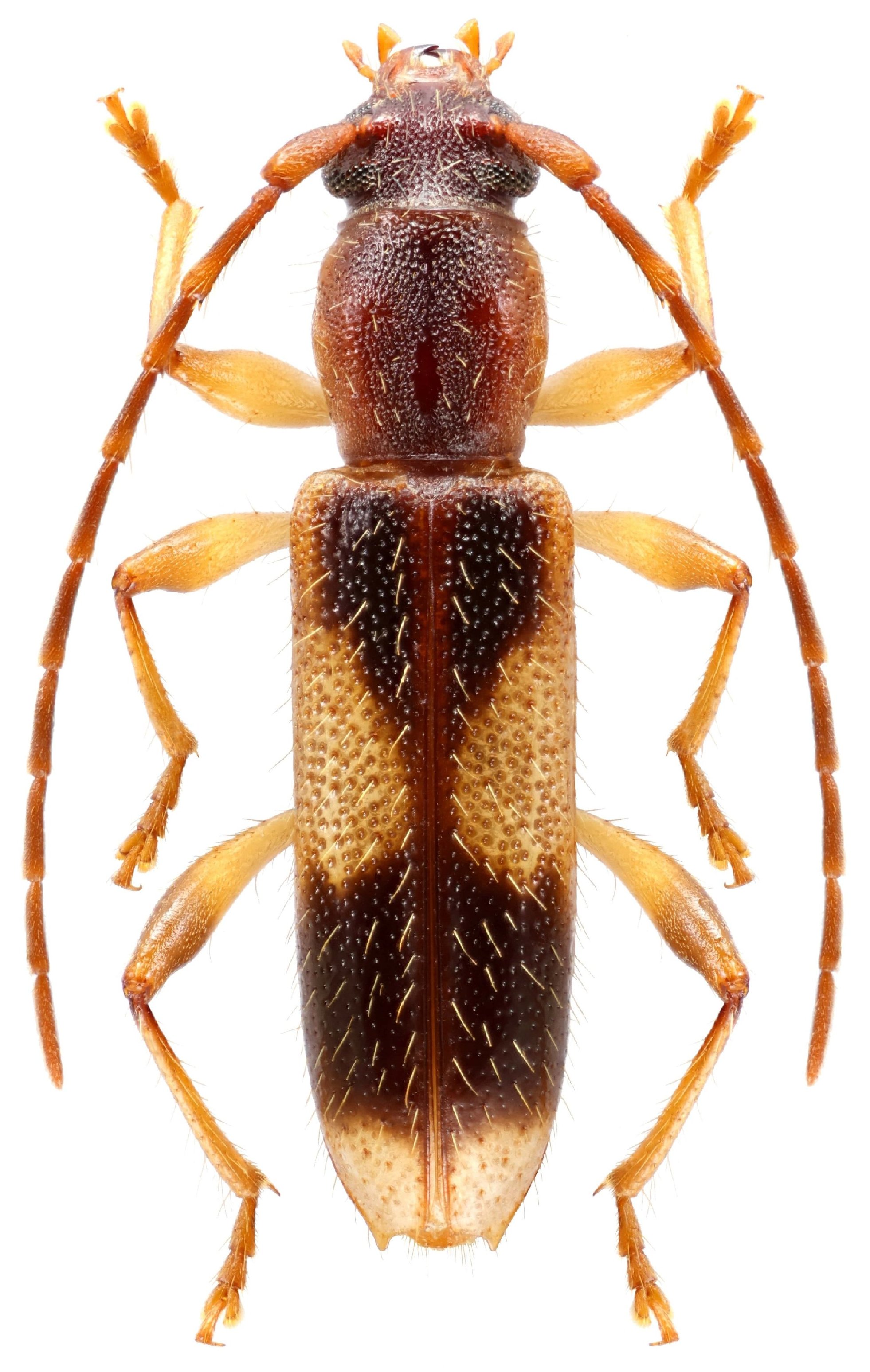
Family Cerambycinae
SubFamily Cerambycinae
Tribe Elaphidiini

Genus Nesanoplium


Nesanoplium
dalensi


Nesanoplium
puberulum


Nesanoplium
spinosum

130503