New Search Family, Subfamily and Tribe List

SubFamily Cerambycinae

Tribe Elaphidiini
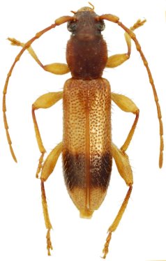
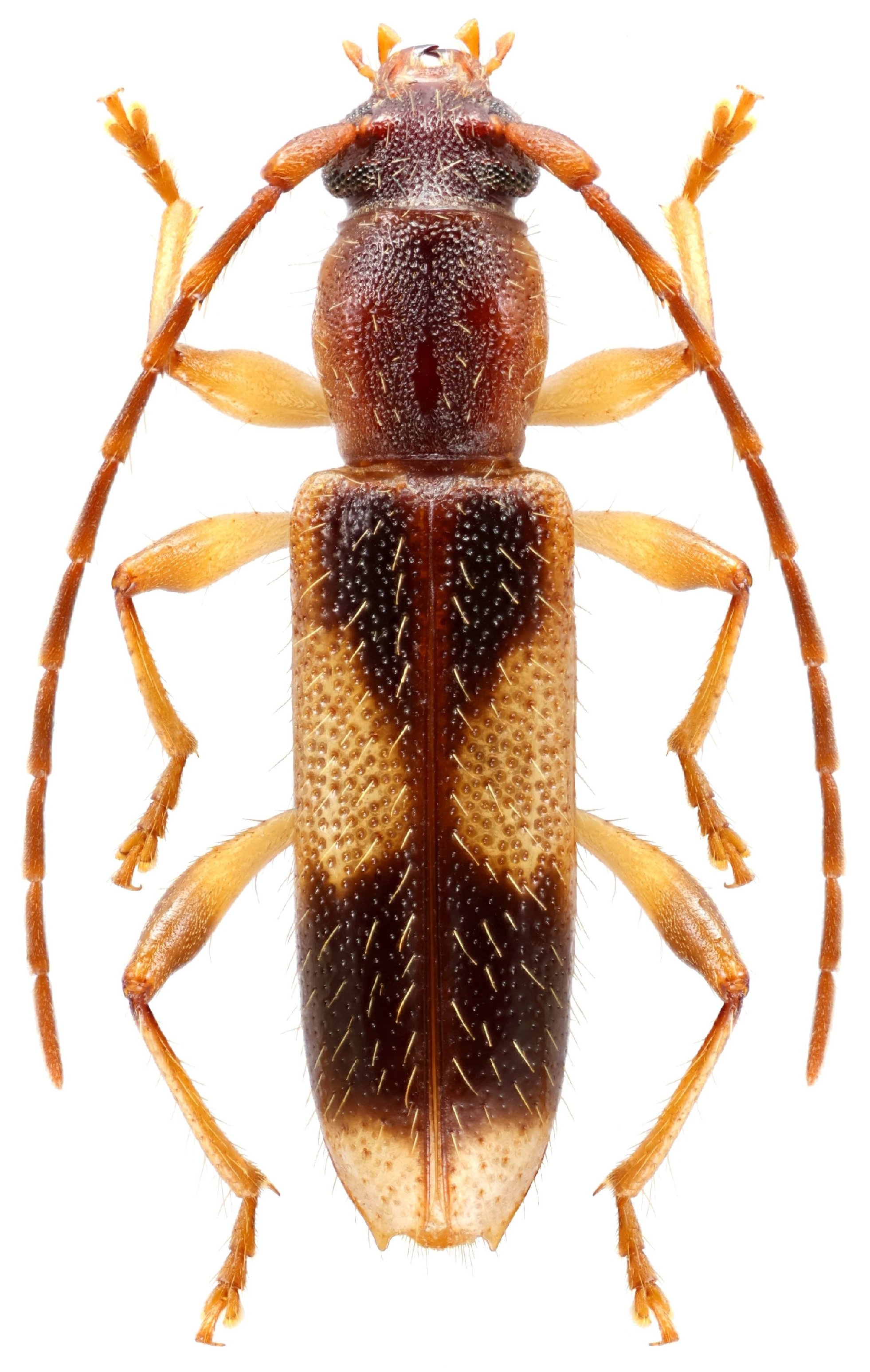
Nesanoplium dalensi Chalumeau & Touroult 2005

Specimen Type: holotype
Sex: f
Photographer: Julien Touroult
Collection Location: St Lucie
23071


Photographer: Frédéric Robin
Collection Location: Scotts Head, St Mark, Dominica Island
90799


Photographer: Julien Touroult
Collection Location: Lesser Antilles
36825

130425