New Search Family, Subfamily and Tribe List
new world both worldsboth worlds old world
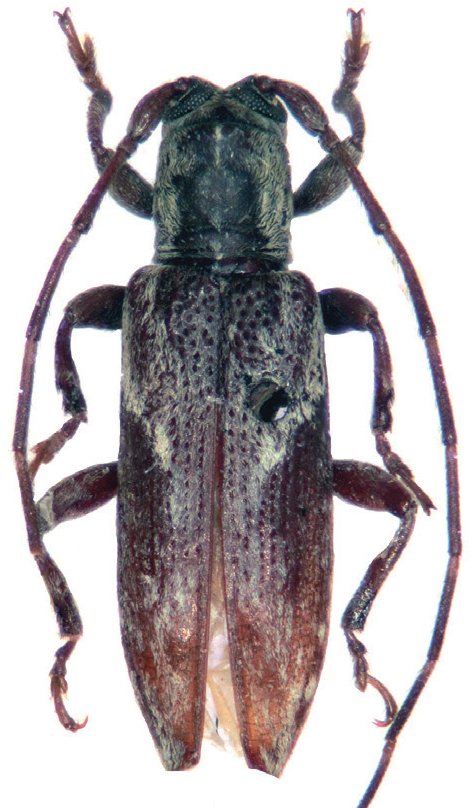
Family Lamiinae
SubFamily Lamiinae
Tribe Apomecynini

Genus Mynonoma


Mynonoma
eunidioides


Mynonoma
integricollis

130503