New Search Family, Subfamily and Tribe List

SubFamily Lamiinae

Tribe Apomecynini
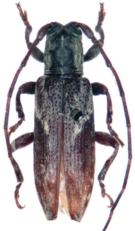
Mynonoma integricollis (Breuning, 1942)

Sybra integricollis Breuning
Specimen Type: holotype
Institution: NHMB Naturhistorisches Museum, Basel, Switzerland
Photographer: Udo Schmidt
Collection Location: Singapore
62775

130425