New Search
Family, Subfamily and Tribe List
Family
Lamiinae
SubFamily
Lamiinae
Tribe
Desmiphorini
Genus
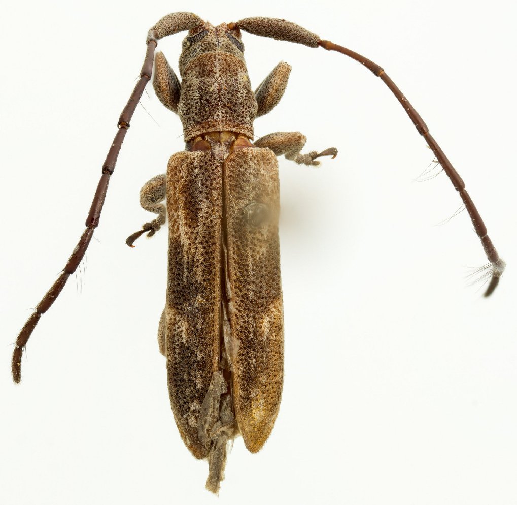
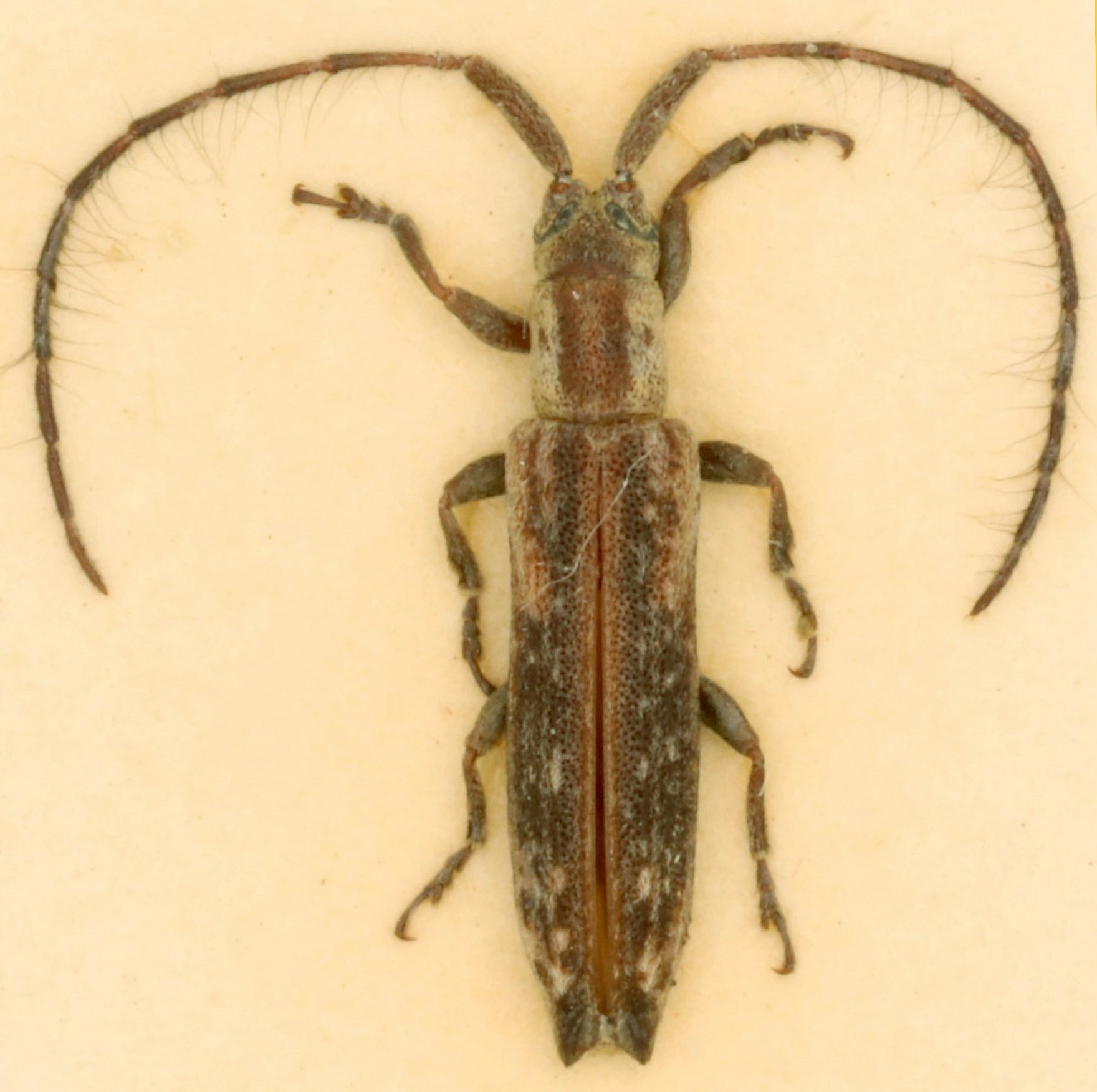
Mimogmodera
Mimogmodera
congoensis
Mimogmodera
rufula
Mimogmodera
truncatipennis
130503