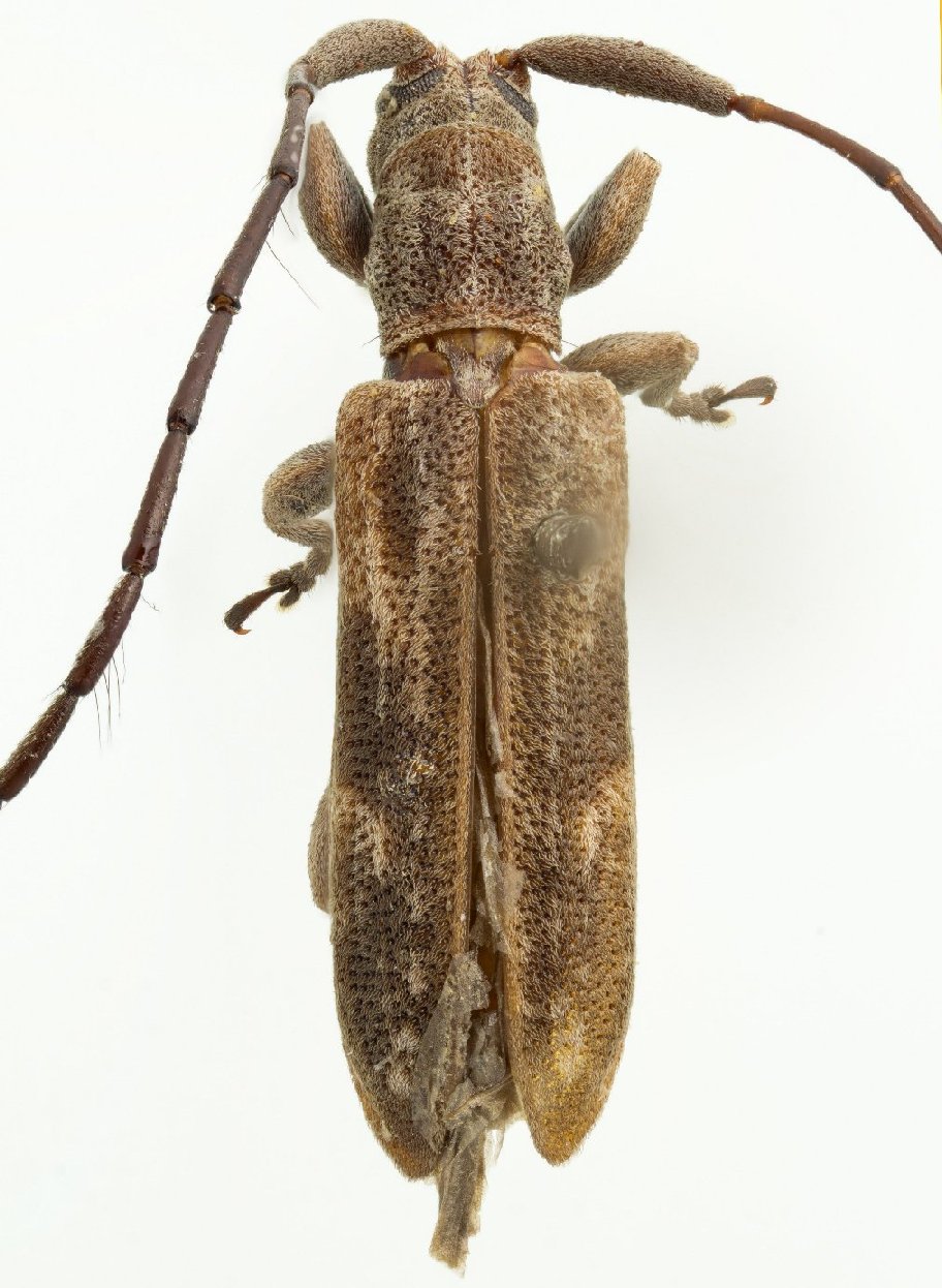
_BR_CNC_Port_St_John_RSA_Mimogmodera_rufula_Lap.jpg)
Parasybrinus fuscovittatus Breuning Specimen Type: holotype Institution: CNC Canadian National Collection of Insects, Ottawa, Ontario, Canada Photographer: Serge Laplante, photograph and data Determiner: Copyright of
Agriculture & Agri Food Canada Collection Location: Port St John, East Cape, South Africa 63248
|
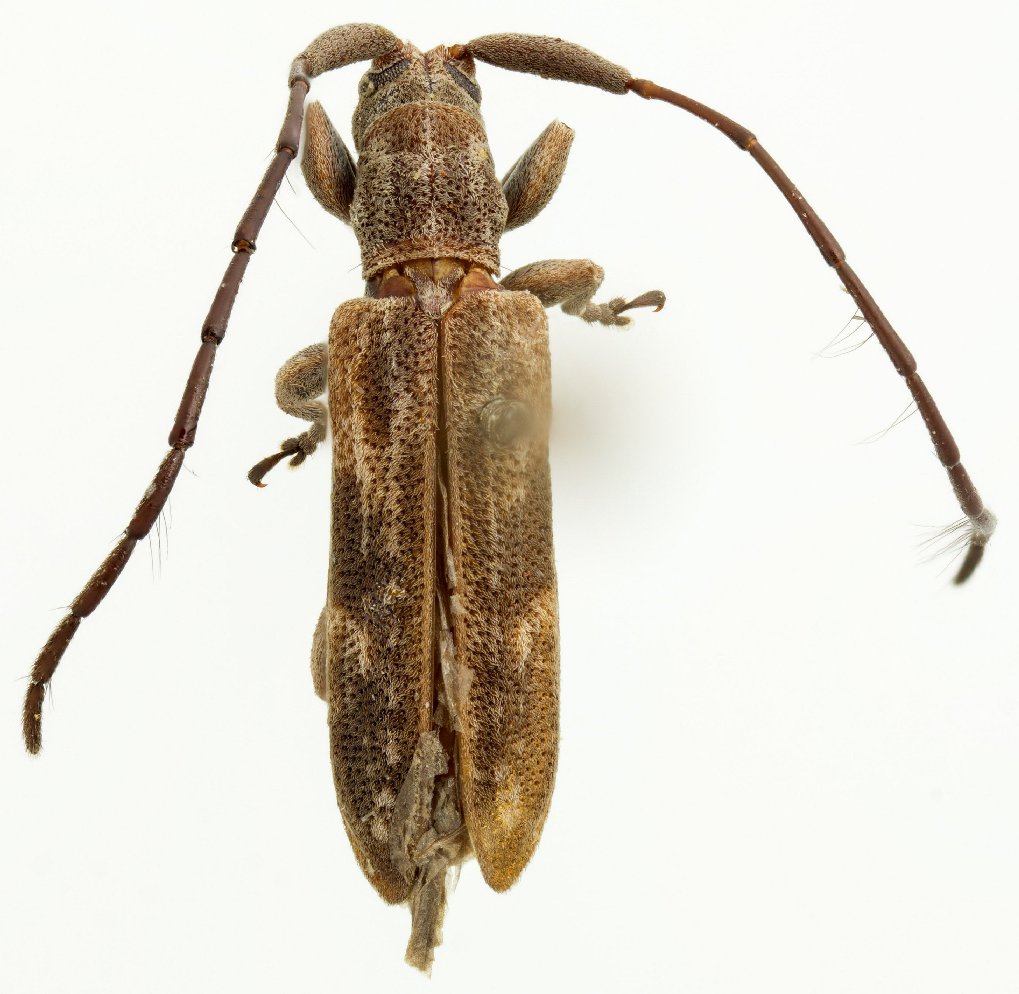
_BR_CNC_Port_St_John_RSA_Mimogmodera_rufula_Lap.jpg)
Parasybrinus fuscovittatus Breuning Specimen Type: holotype Institution: CNC Canadian National Collection of Insects, Ottawa, Ontario, Canada Photographer: Serge Laplante, photograph and data Determiner: Copyright of
Agriculture & Agri Food Canada Collection Location: Port St John, East Cape, South Africa 63249
|
_BR_CNC_Port_St_John_RSA_Mimogmodera_rufula_Lap.jpg)
Parasybrinus fuscovittatus Breuning Specimen Type: holotype Institution: CNC Canadian National Collection of Insects, Ottawa, Ontario, Canada Photographer: Serge Laplante, photograph and data Determiner: Copyright of
Agriculture & Agri Food Canada Collection Location: Port St John, East Cape, South Africa 63250
|
_BR_CNC_Port_St_John_RSA_Mimogmodera_rufula_Lap.jpg)
Parasybrinus fuscovittatus Breuning Specimen Type: holotype Institution: CNC Canadian National Collection of Insects, Ottawa, Ontario, Canada Photographer: Serge Laplante, photograph and data Determiner: Copyright of
Agriculture & Agri Food Canada Collection Location: Port St John, East Cape, South Africa 63251
|
|