New Search
Family, Subfamily and Tribe List
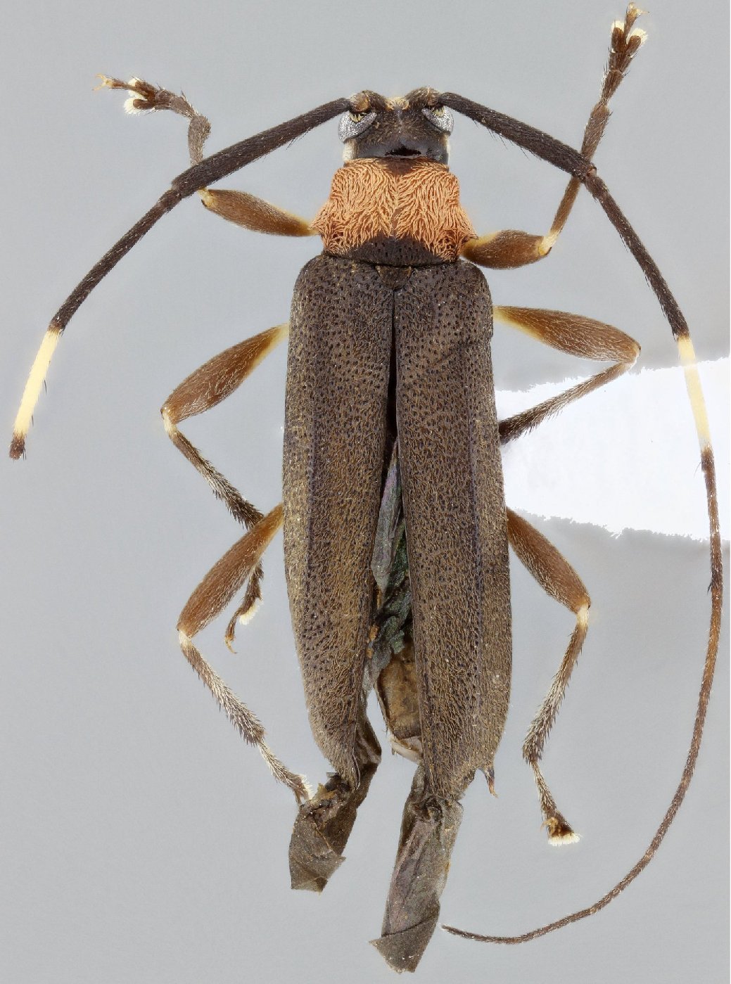
Family
Lamiinae
SubFamily
Lamiinae
Tribe
Colobotheini
Genus
Miguellus
Miguellus
monnei
130503