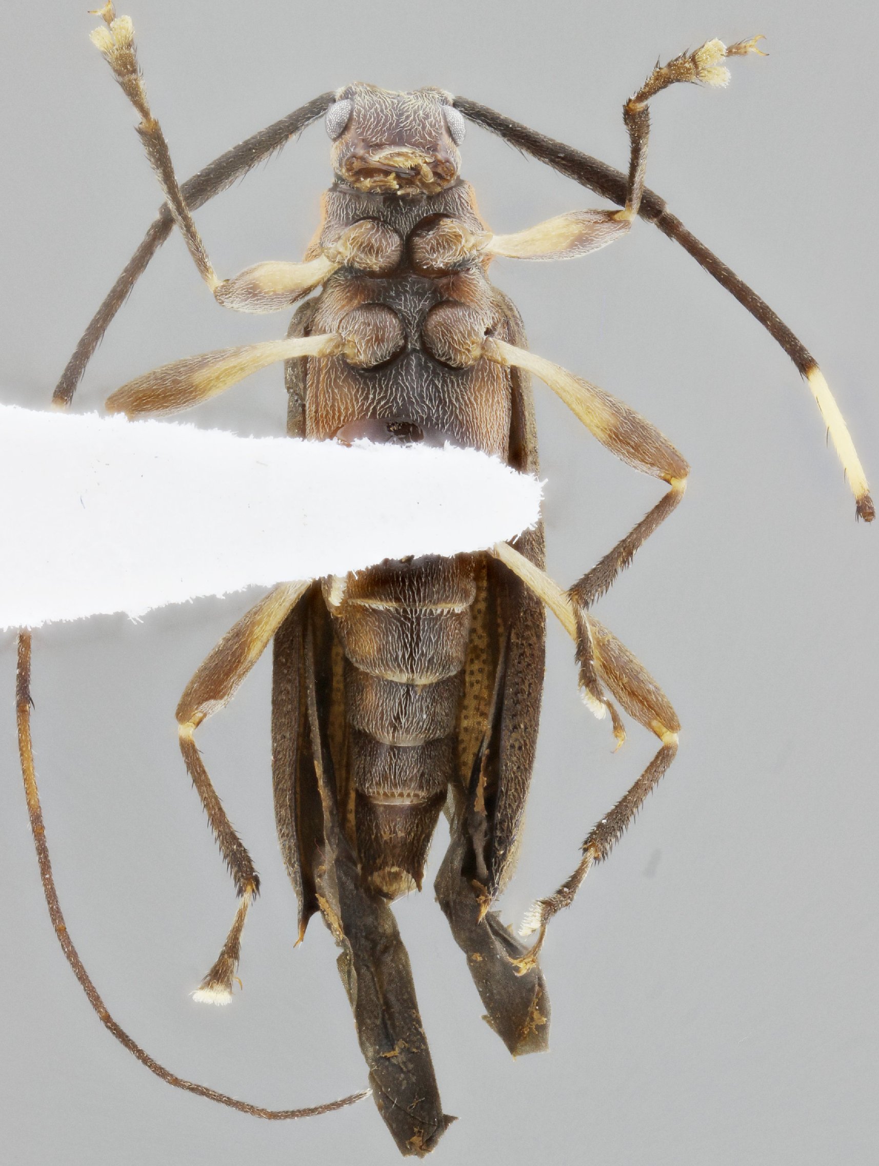
_SS_Gal_McClarin_QCAZ_Cosanga_Napo_Ec.jpg)
Specimen Type: holotype Sex: m Institution: QCAZ Museo Zoologia, Pontificia Universidad Catolica, Quito, Ecuador Photographer: Antonio Santos-Silva Collection Location: Cosanga, Napo, Ecuador 66027
|
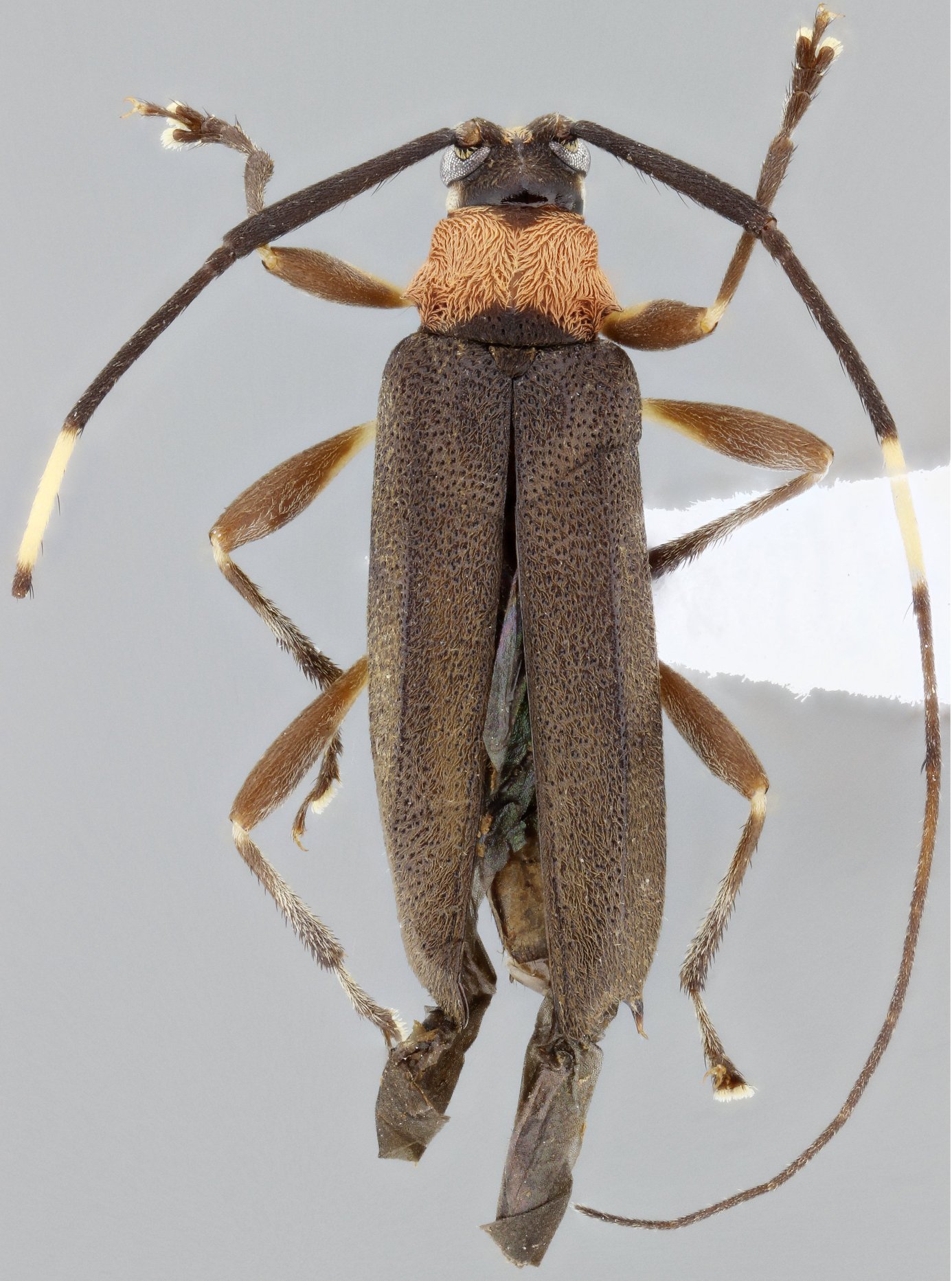
_SS_Gal_McClarin_QCAZ_Cosanga_Napo_Ec.jpg)
Specimen Type: holotype Sex: m Institution: QCAZ Museo Zoologia, Pontificia Universidad Catolica, Quito, Ecuador Photographer: Antonio Santos-Silva Collection Location: Cosanga, Napo, Ecuador 66028
|
_SS_Gal_McClarin_QCAZ_Cosanga_Napo_Ec.jpg)
Specimen Type: holotype Sex: m Institution: QCAZ Museo Zoologia, Pontificia Universidad Catolica, Quito, Ecuador Photographer: Antonio Santos-Silva Collection Location: Cosanga, Napo, Ecuador 66029
|
_SS_Gal_McClarin_QCAZ_Cosanga_Napo_Ec.jpg)
Specimen Type: holotype Sex: m Institution: QCAZ Museo Zoologia, Pontificia Universidad Catolica, Quito, Ecuador Photographer: Antonio Santos-Silva Collection Location: Cosanga, Napo, Ecuador 66030
|
|