New Search
Family, Subfamily and Tribe List
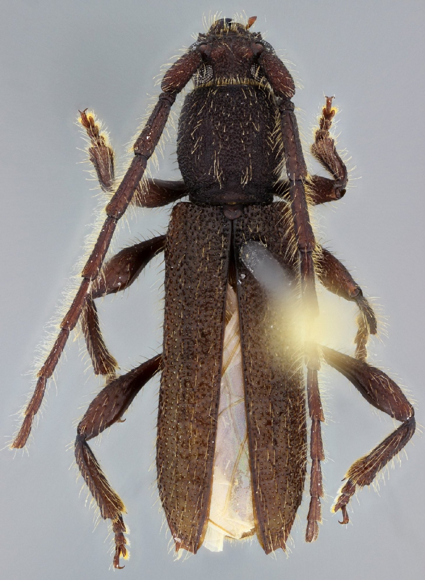
Family
Cerambycinae
SubFamily
Cerambycinae
Tribe
Piezocerini Piezocerina
Genus
Migorybia
Migorybia
miranda
Migorybia
santossilvai
130503