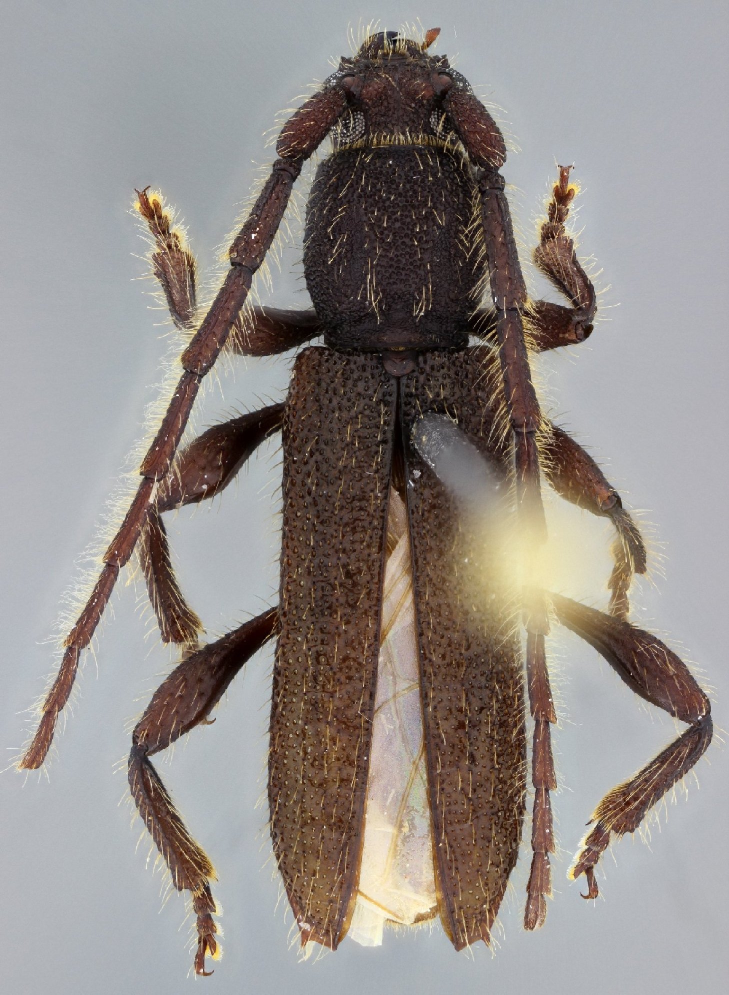
_Garcia_Bot_Mart_MZSP_Reserva_La_Flecha_San_Jacinto_Bol_Colomb_Bot.jpg)
Specimen Type: holotype Sex: f Institution: MZSP Museu de Zoologia da Universidade de São Paulo, Brazil Photographer: Juan Pablo Botero Collection Location: Reserva La Flecha, San Jacinto, Bolivar, Colombia 70247
|
_Garcia_Bot_Mart_MZSP_Reserva_La_Flecha_San_Jacinto_Bol_Colomb_Bot.jpg)
Specimen Type: holotype Sex: f Institution: MZSP Museu de Zoologia da Universidade de São Paulo, Brazil Photographer: Juan Pablo Botero Collection Location: Reserva La Flecha, San Jacinto, Bolivar, Colombia 70248
|
_Garcia_Bot_Mart_MZSP_Reserva_La_Flecha_San_Jacinto_Bol_Colomb_Bot.jpg)
Specimen Type: holotype Sex: f Institution: MZSP Museu de Zoologia da Universidade de São Paulo, Brazil Photographer: Juan Pablo Botero Collection Location: Reserva La Flecha, San Jacinto, Bolivar, Colombia 70249
|
_Garcia_Bot_Mart_MZSP_Reserva_La_Flecha_San_Jacinto_Bol_Colomb_Bot.jpg)
Specimen Type: holotype Sex: f Institution: MZSP Museu de Zoologia da Universidade de São Paulo, Brazil Photographer: Juan Pablo Botero Collection Location: Reserva La Flecha, San Jacinto, Bolivar, Colombia 70250
|
_Garcia_Bot_Mart_MZSP_Reserva_La_Flecha_San_Jacinto_Bol_Colomb_Bot.jpg)
Specimen Type: paratype Sex: m Institution: UARC Universidad del Atlántico, Puerto Colombia, Colombia Photographer: Juan Pablo Botero Collection Location: Reserva La Flecha, San Jacinto, Bolivar, Colombia 70251
|
|