New Search Family, Subfamily and Tribe List
new world both worldsboth worlds old world
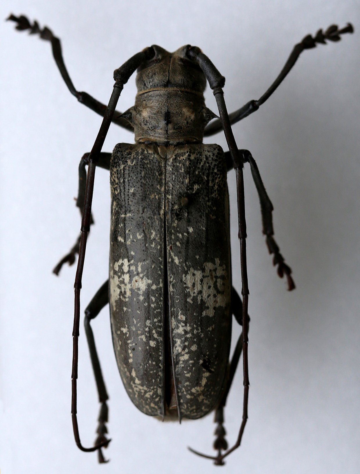
Family Lamiinae
SubFamily Lamiinae
Tribe Lamiini

Genus Meges


Meges
gravidus


Meges
tonkineus

130503