_Pascoe_BMNH_Xicui_Du.jpg)
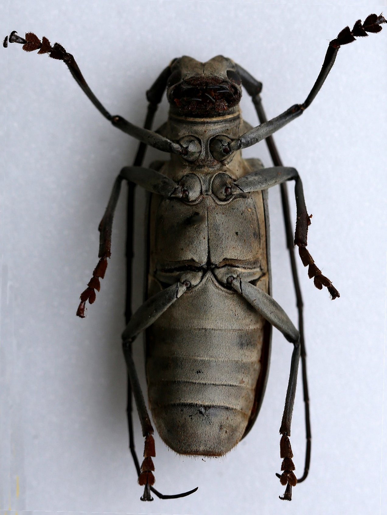
Monohammus gravidus Pascoe Specimen Type: holotype Institution: BMNH British Museum Natural History, London, UK Photographer: Xicui Du Collection Location: Borneo 65905
|
_Pascoe_BMNH_Xicui_Du.jpg)
Monohammus gravidus Pascoe Specimen Type: holotype Institution: BMNH British Museum Natural History, London, UK Photographer: Xicui Du Collection Location: Borneo 65906
|
_Pascoe_BMNH_Xicui_Du.jpg)
Monohammus gravidus Pascoe Specimen Type: holotype Institution: BMNH British Museum Natural History, London, UK Photographer: Xicui Du Collection Location: Borneo 65907
|
_Pascoe_BMNH_Xicui_Du.jpg)
Monohammus gravidus Pascoe Specimen Type: holotype Institution: BMNH British Museum Natural History, London, UK Photographer: Xicui Du Collection Location: Borneo 65908
|
 (Pascoe) Hangzhou City, Zhejiang, China Wen-Xuan Bi pic.jpg)
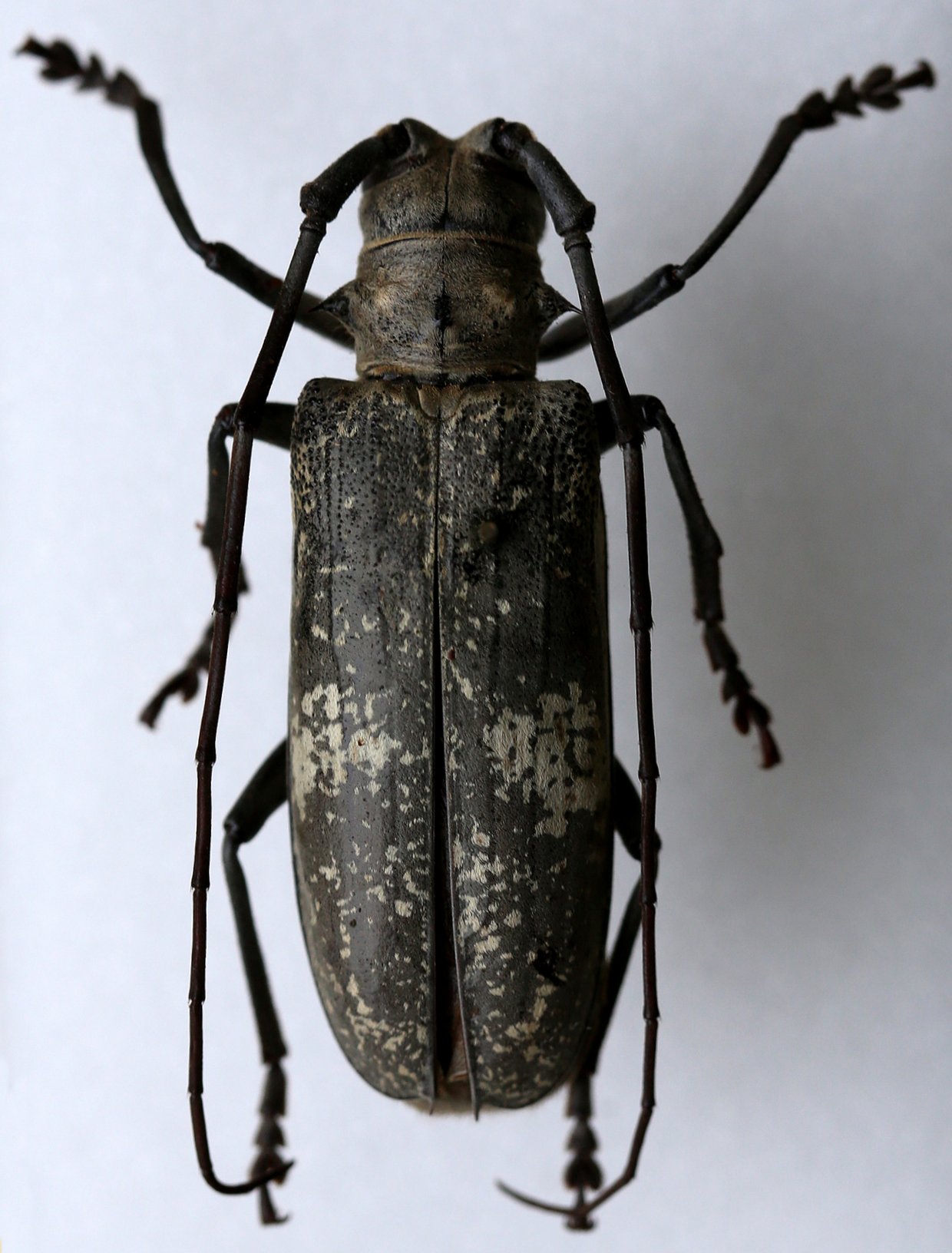
Sex: m Photographer: Wen-Xuan Bi Collection Location: Hangzhou City, Zhejiang, China 78543
|
|