New Search Family, Subfamily and Tribe List
new world both worldsboth worlds old world
Family Cerambycinae
SubFamily Cerambycinae
Tribe Elaphidiini

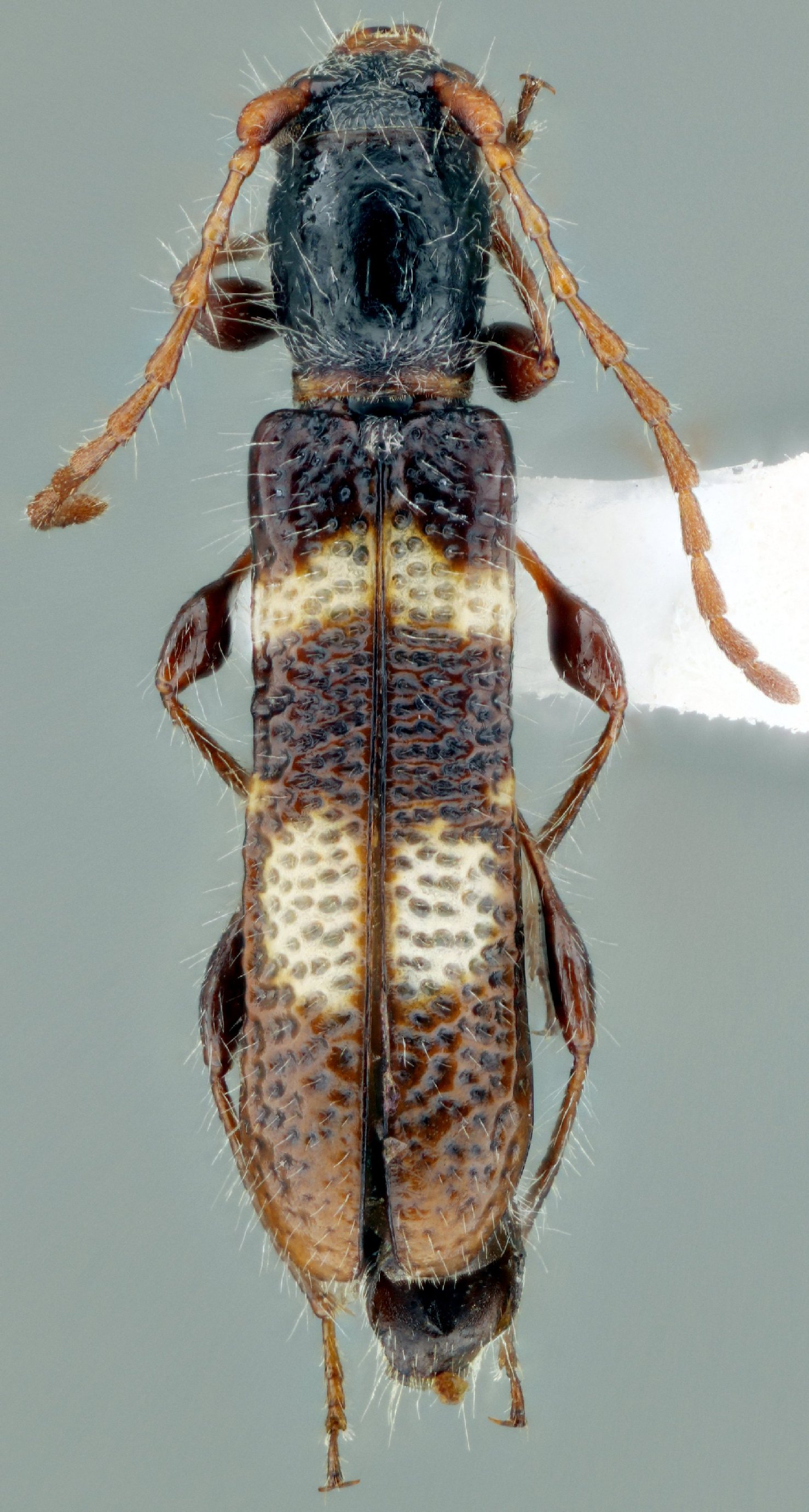
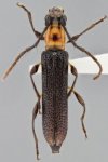
Genus Lingafelterellus


Lingafelterellus
barclayi


Lingafelterellus
birai


Lingafelterellus
clarkei

130503