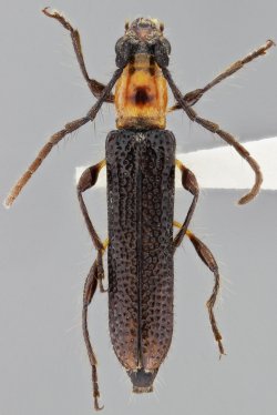
_SS_Gal_MNKM_5kmSSE_BuenaVista_FF.jpg)
Specimen Type: holotype Sex: f Institution: MNKM Museo de Hist Nat Noel Kempff Mercado Santa Cruz de la Sierra, Bolivia Photographer: Antonio Santos-Silva Collection Location: 5 km SSE Buena Vista, Hotel Flora & Fauna, Santa Cruz, Bolivia 59490
|
_SS_Gal_MNKM_5kmSSE_BuenaVista_FF.jpg)
Specimen Type: holotype Sex: f Institution: MNKM Museo de Hist Nat Noel Kempff Mercado Santa Cruz de la Sierra, Bolivia Photographer: Antonio Santos-Silva Collection Location: 5 km SSE Buena Vista, Hotel Flora & Fauna, Santa Cruz, Bolivia 59491
|
_SS_Gal_MNKM_5kmSSE_BuenaVista_FF.jpg)
Specimen Type: holotype Sex: f Institution: MNKM Museo de Hist Nat Noel Kempff Mercado Santa Cruz de la Sierra, Bolivia Photographer: Antonio Santos-Silva Collection Location: 5 km SSE Buena Vista, Hotel Flora & Fauna, Santa Cruz, Bolivia 59492
|
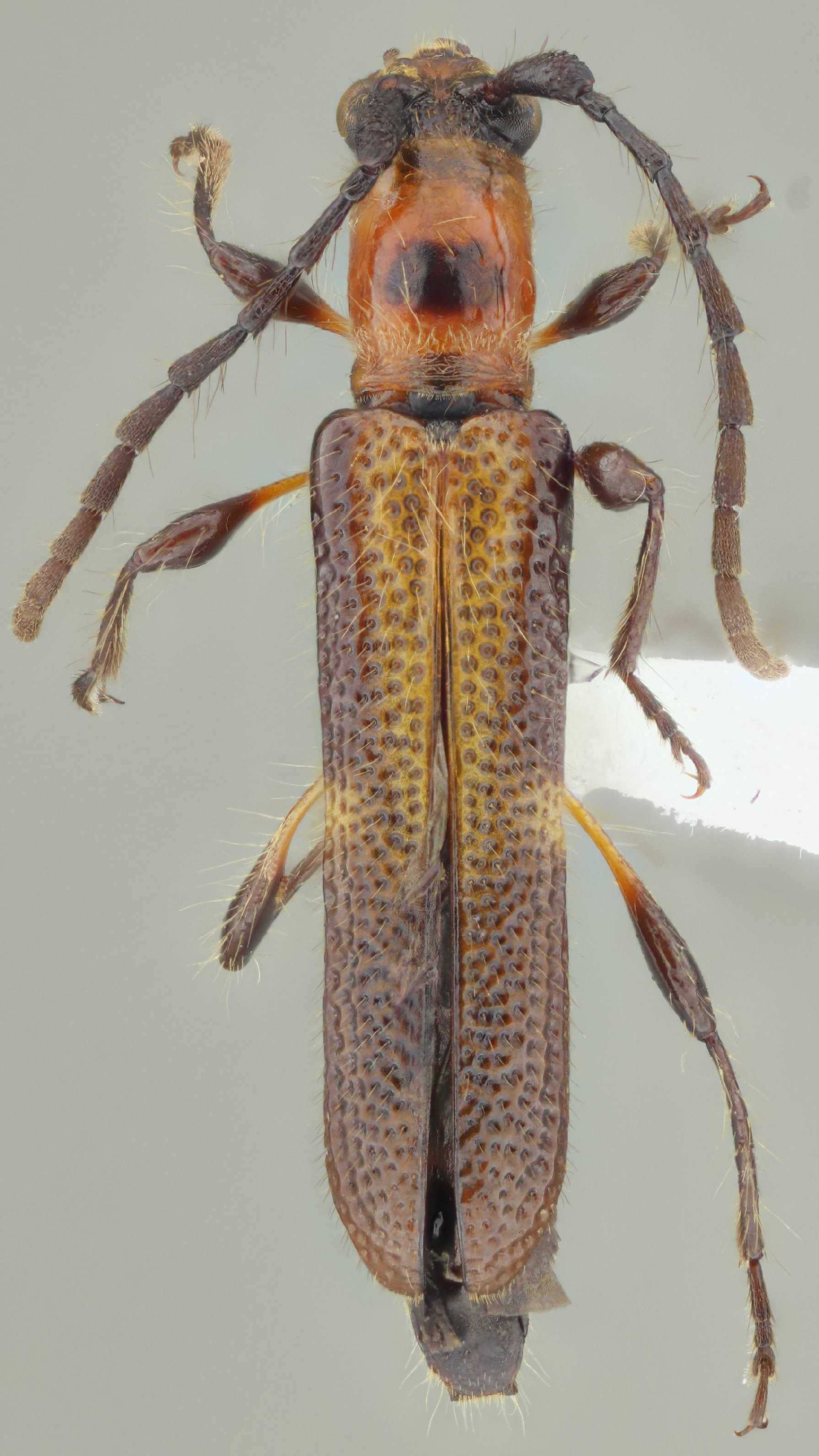
 SS G MZSP Santa Cruz, Bolivia SS.jpg)
Sex: f Institution: MZSP Museu de Zoologia da Universidade de São Paulo, Brazil Photographer: Antonio Santos-Silva Collection Location: Santa Cruz, Bolivia 80732
|
|