New Search Family, Subfamily and Tribe List
new world both worldsboth worlds old world
Family Lamiinae
SubFamily Lamiinae
Tribe Acanthocinini

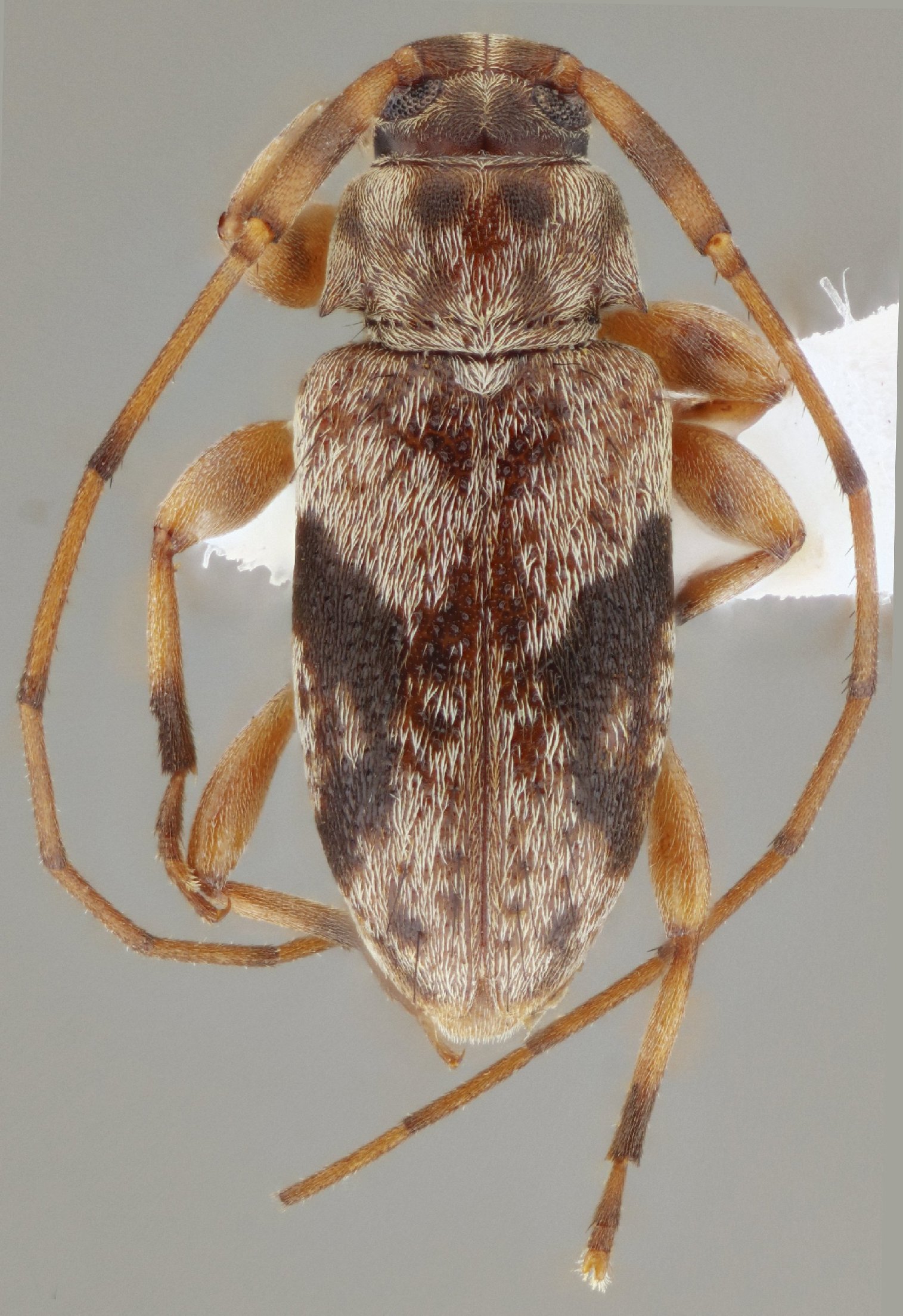
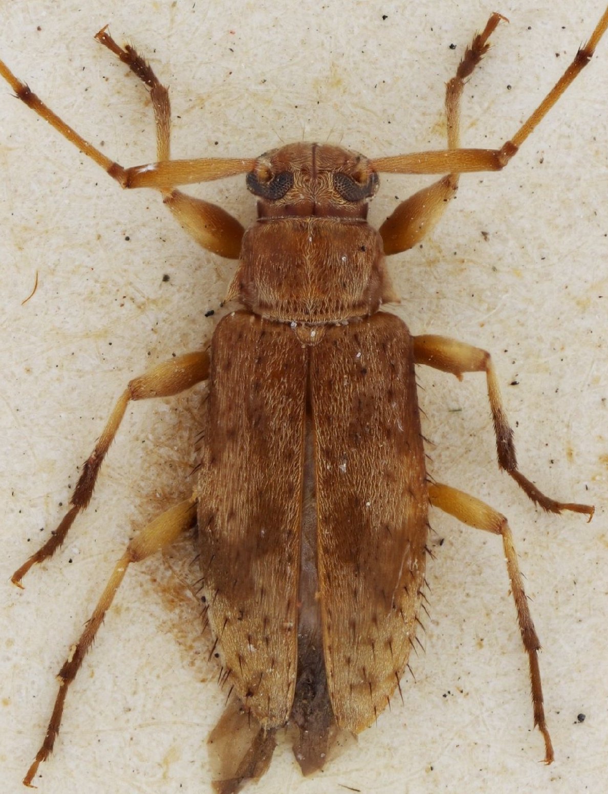
Genus Lepturgotrichona


Lepturgotrichona
bordoni


Lepturgotrichona
cubaecola


Lepturgotrichona
stigmatica

130503