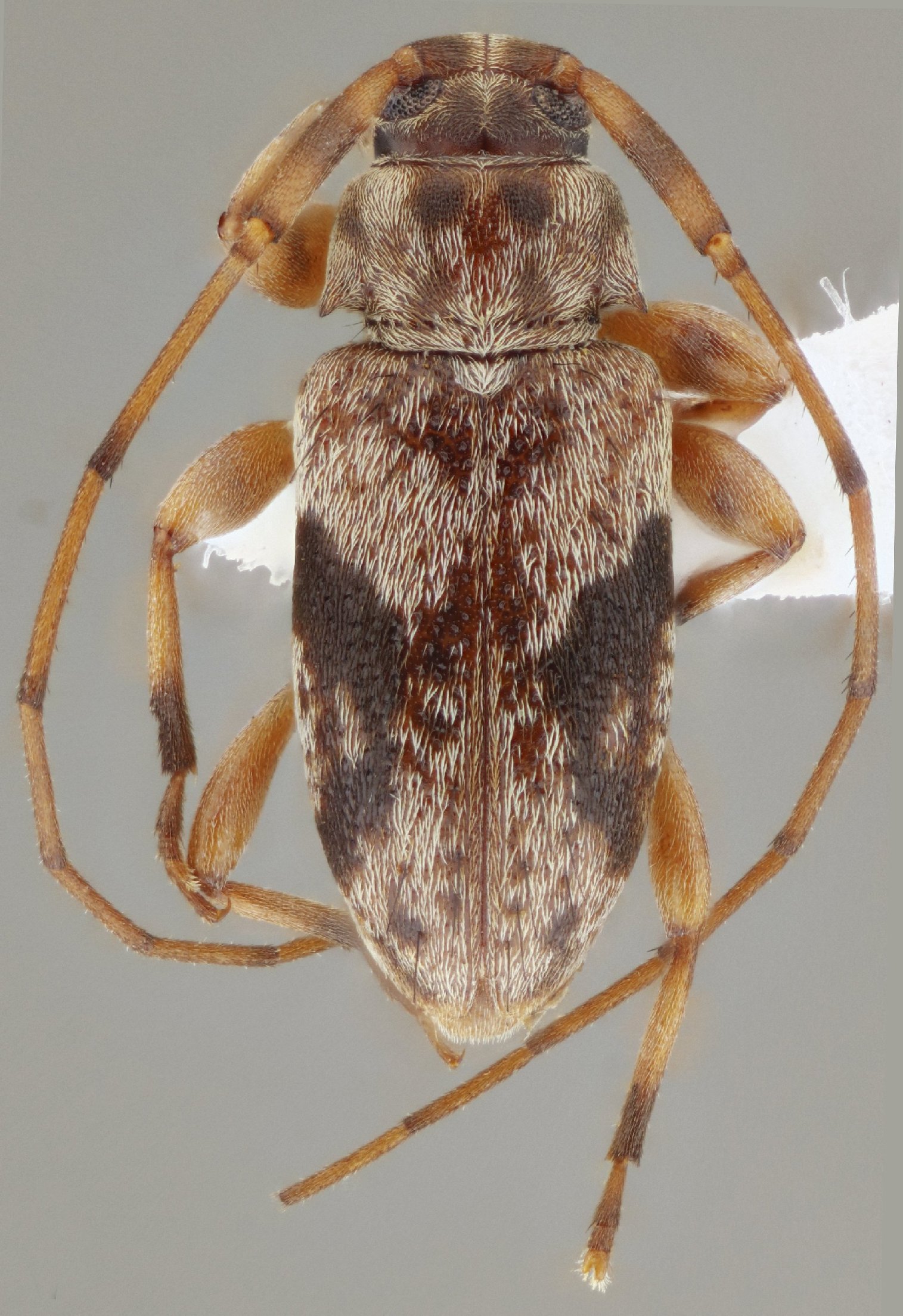
_Gilmour_AMNH_San_Jeronimo_Baja_Verapaz_Guatemala.jpg)
Leptrichillus minutus Gilmour Specimen Type: holotype Sex: f Institution: AMNH American Museum of Natural History, New York, NY, USA Collection Location: San Jeronimo, Baja Verapaz, Guatemala 27826
|
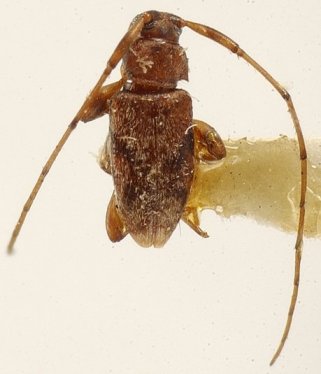
 (Bates) CSCA 12 km NW Valladolid, Yucatan, Mexico SS.jpg)
Sex: f Institution: CSCA California State Collection of Arthropods, Sacramento, California Photographer: Antonio Santos-Silva Collection Location: 12 km NW Valladolid, Yucatan, Mexico 101343
|