New Search
Family, Subfamily and Tribe List
Family
Cerambycinae
SubFamily
Cerambycinae
Tribe
Dejanirini
Genus
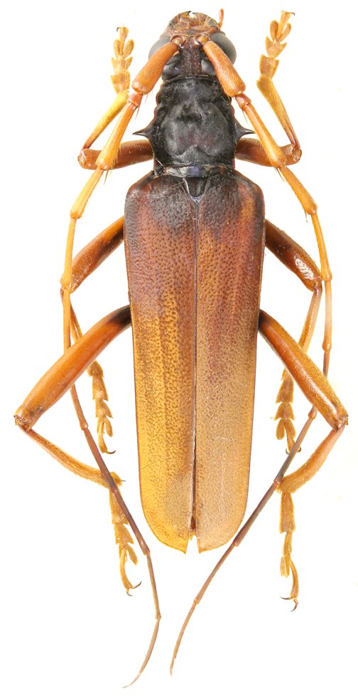
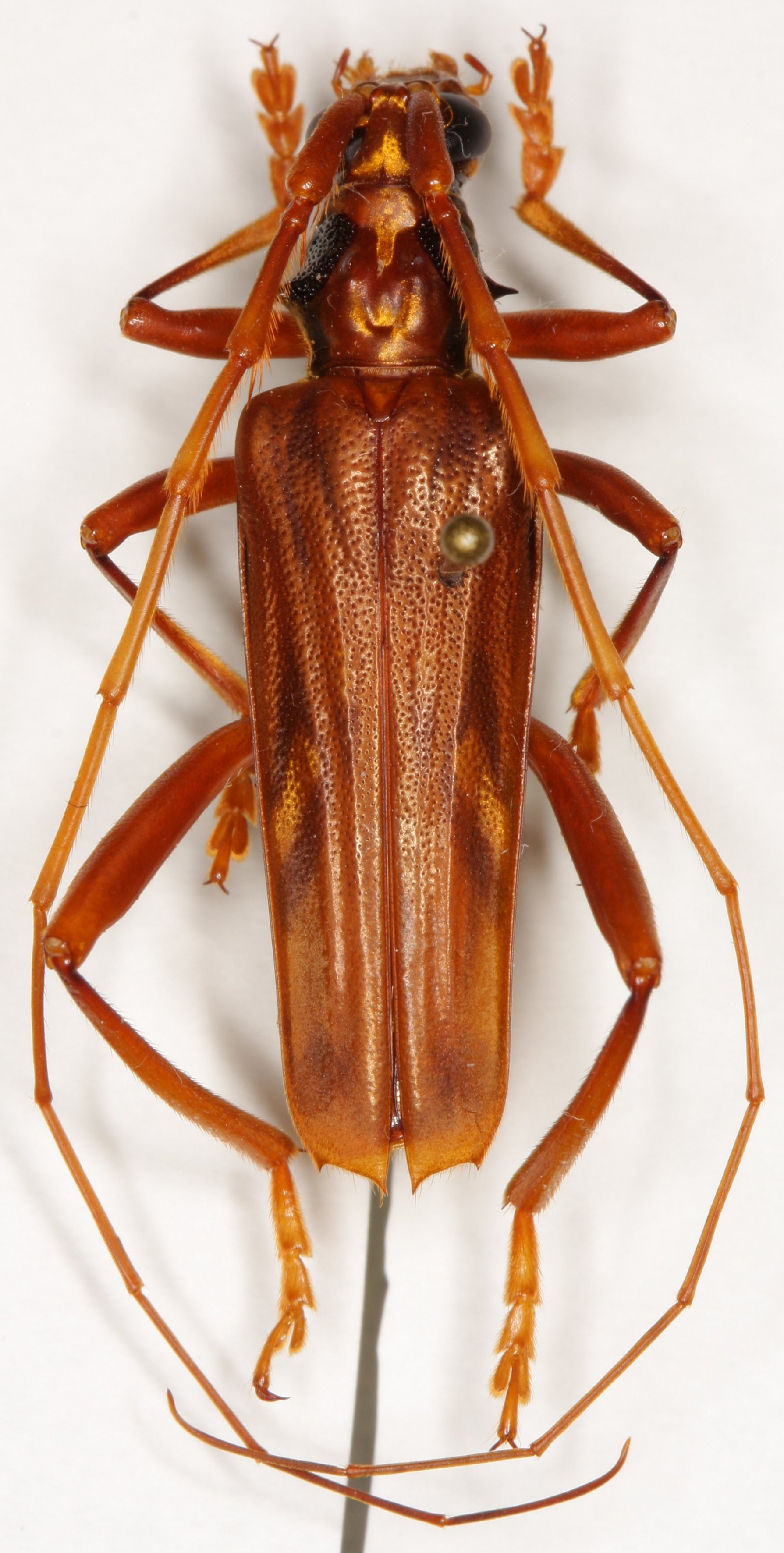
Janidera
Janidera
biapiculata
Janidera
celebensis
Janidera
insignata
Janidera
plagiata
130503