
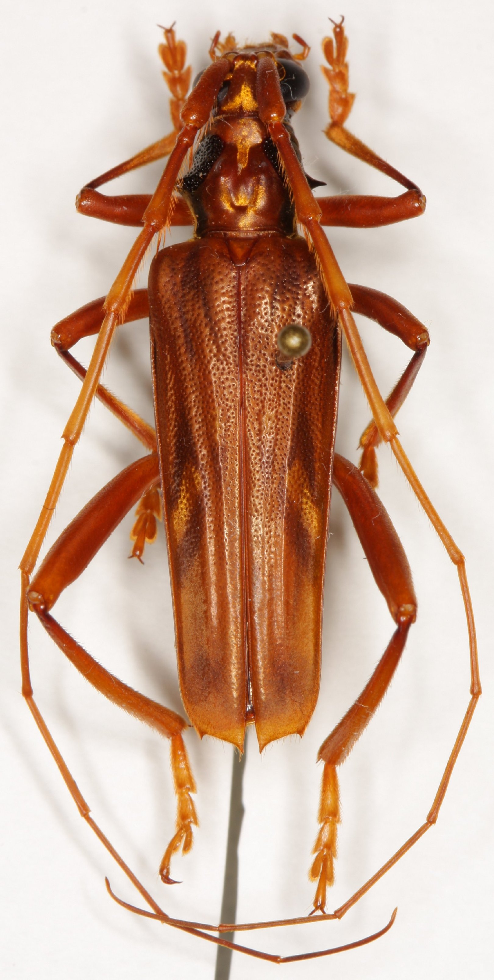
Dejanira biapiculata Pascoe Specimen Type: syntype Institution: BMNH British Museum Natural History, London, UK Photographer: Dan Heffern Collection Location: Penang, Malacca, Malaysia 51359
|
_Sumatra_Haller.jpg)
Photographer: Pierre Haller, Cerambycoidea Forum Collection Location: Sumatra 51360
|