New Search Family, Subfamily and Tribe List
new world both worldsboth worlds old world
Family Lamiinae
SubFamily Lamiinae
Tribe Hemilophini

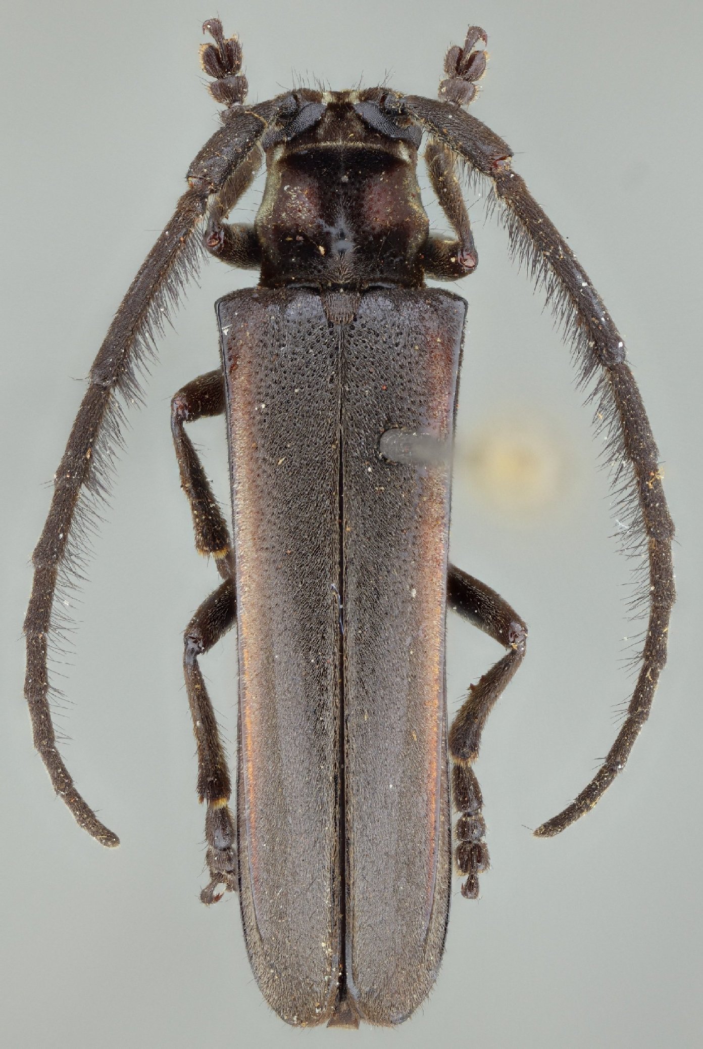
Genus Itumbiara


Itumbiara
crinicornis


Itumbiara
cuici


Itumbiara
denudata


Itumbiara
explanata


Itumbiara
fimbriata


Itumbiara
picticollis


Itumbiara
picticornis


Itumbiara
plumosa


Itumbiara
subdilatata


Itumbiara
taigaiba

130503