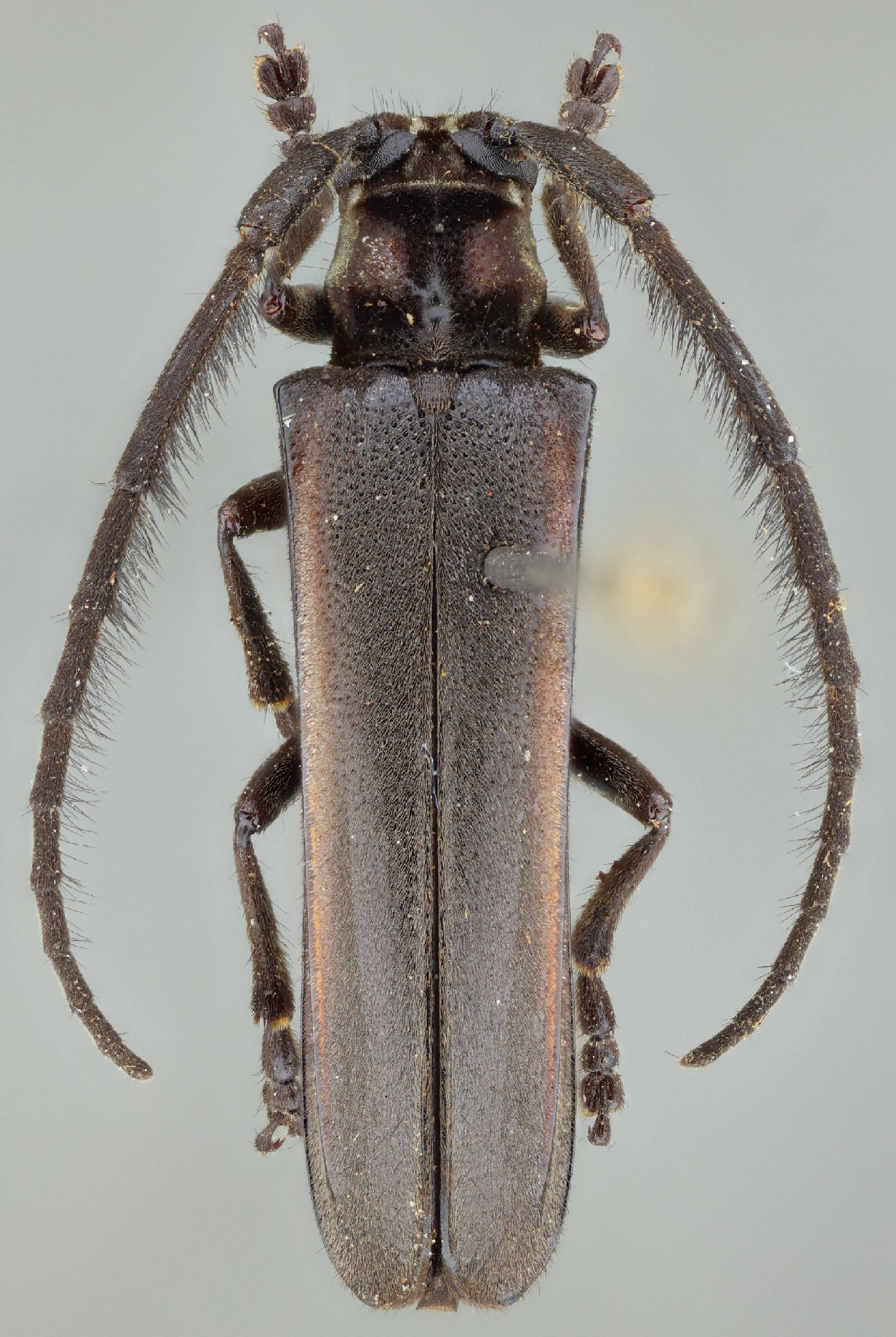
 Bates MNHN Parana, Brazil now Itumbiara Moure.jpg)
Isomerida picticollis Bates Specimen Type: holotype Sex: m Institution: MNHN Museum of Natural History Paris, France Photographer: JS Moure Collection Location: Parana, Brazil 96287
|
_CAS.jpg)
Institution: CAS California Academy of Sciences, San Francisco, CA, USA Photographer: Larry G. Bezark 8849
|
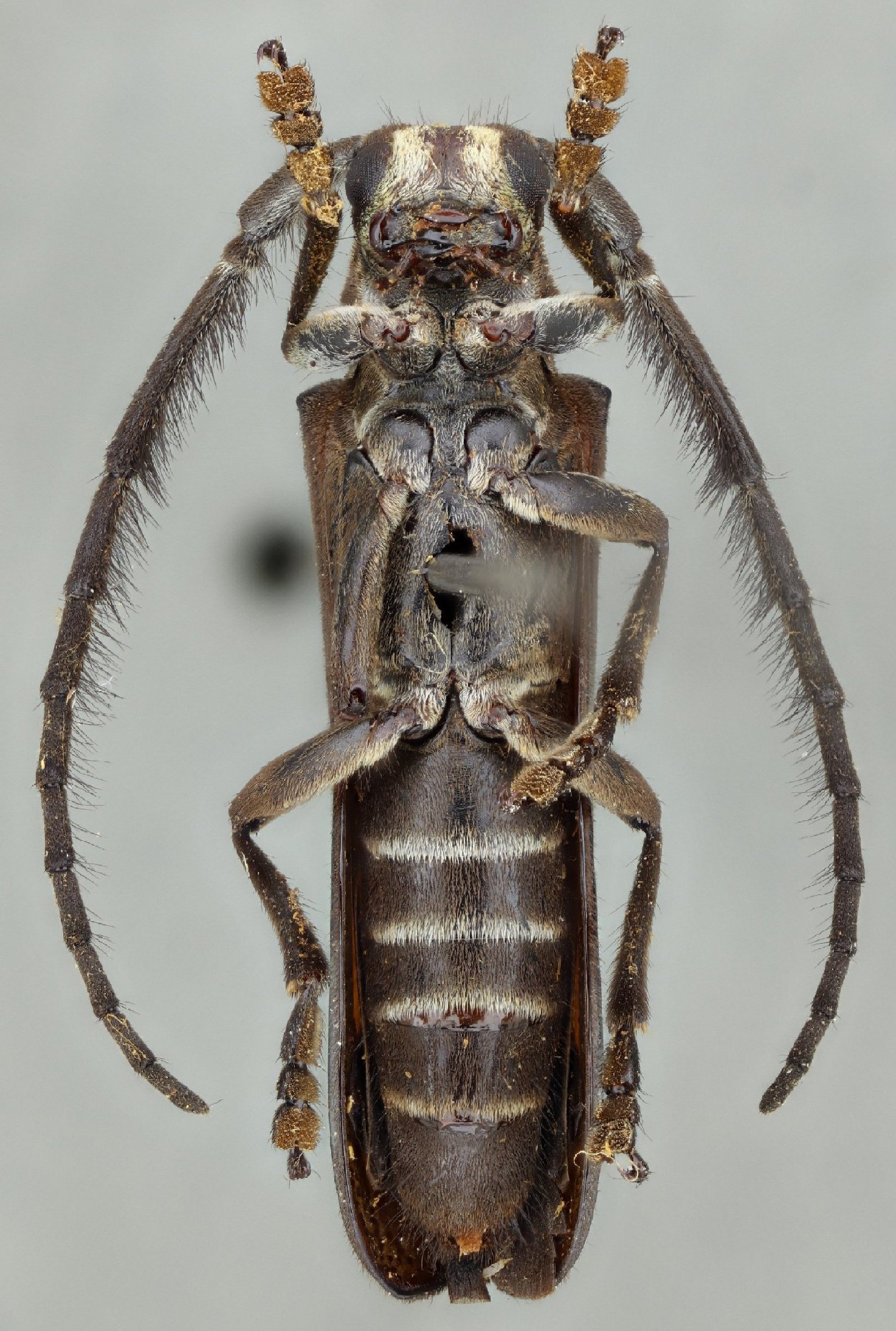
 (Bates) MZSP Santa Catarina, Brazil SS.jpg)
Sex: m Institution: MZSP Museu de Zoologia da Universidade de São Paulo, Brazil Photographer: Antonio Santos-Silva Collection Location: Santa Catarina, Brazil 78875
|
 (Bates) MZSP Santa Catarina, Brazil SS.jpg)
Sex: m Institution: MZSP Museu de Zoologia da Universidade de São Paulo, Brazil Photographer: Antonio Santos-Silva Collection Location: Santa Catarina, Brazil 78876
|
|