New Search
Family, Subfamily and Tribe List
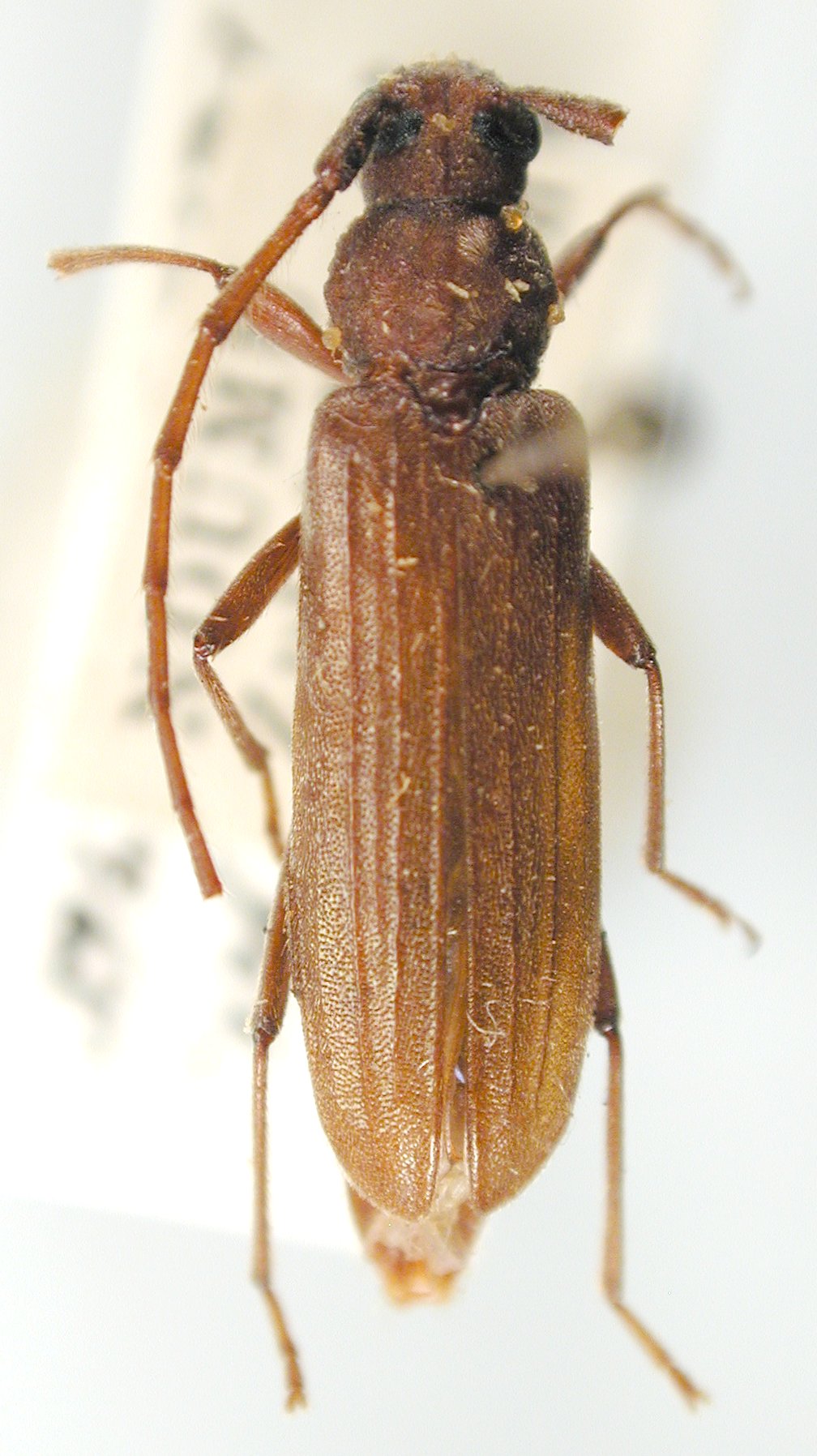
Family
Cerambycinae
SubFamily
Cerambycinae
Tribe
Oemini
Genus
Hypoeschrus
Hypoeschrus
abyssinicus
Hypoeschrus
acme
Hypoeschrus
aenescens
Hypoeschrus
clermonti
Hypoeschrus
dallonii
Hypoeschrus
ferreirae
Hypoeschrus
strigosus
Hypoeschrus
ugandensis
130503