New Search Family, Subfamily and Tribe List

SubFamily Cerambycinae

Tribe Oemini
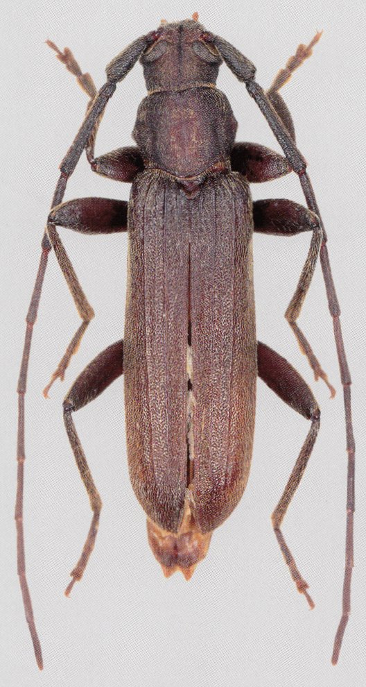
Hypoeschrus abyssinicus Jordan 1894

Sex: m
Photographer: Karl Adlbauer
Collection Location: Ethiopia
72582


Sex: f
Photographer: Karl Adlbauer
Collection Location: Ethiopia
72583

130425