New Search
Family, Subfamily and Tribe List
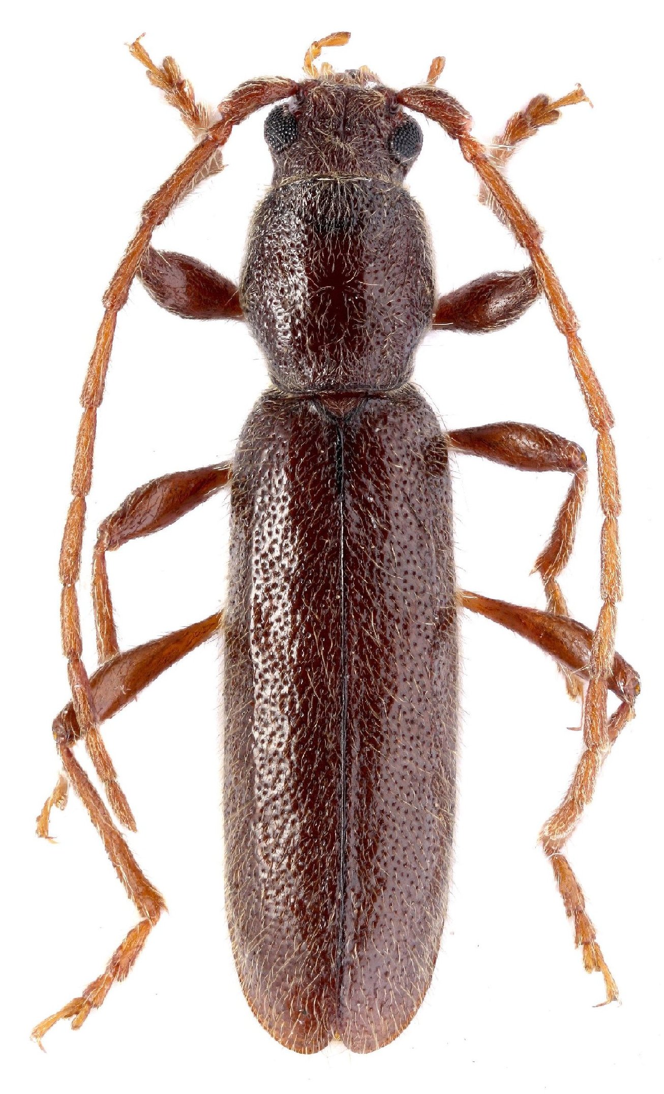
Family
Cerambycinae
SubFamily
Cerambycinae
Tribe
Graciliini
Genus
Hybometopia
Hybometopia
starcki
ivani
Hybometopia
starcki
starcki
130503