New Search Family, Subfamily and Tribe List

SubFamily Cerambycinae

Tribe Graciliini
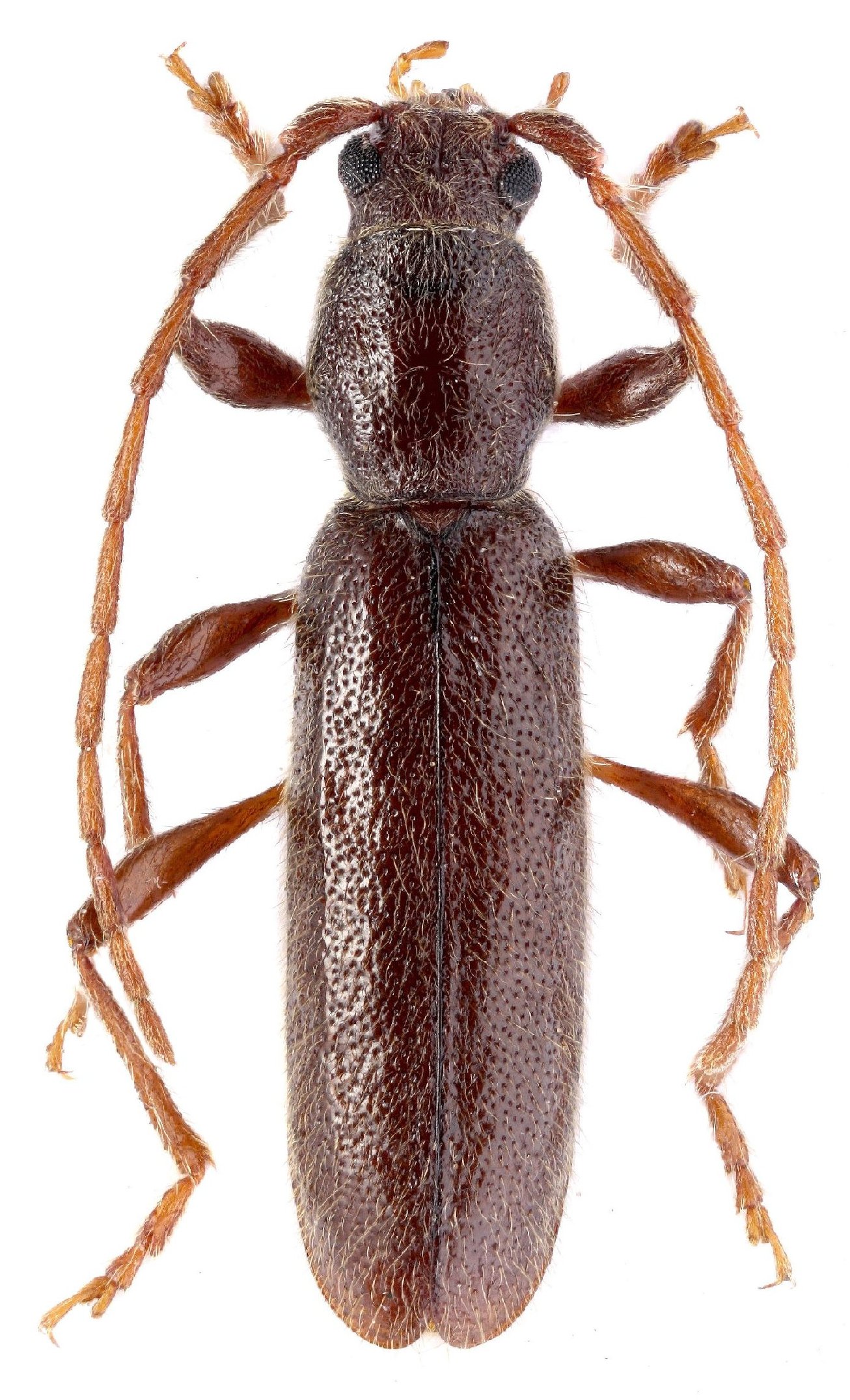
Hybometopia starcki starcki Ganglbauer 1889

Photographer: Denis Kasatkin
Collection Location: vic Hopa Village, Artvin Province, NE Turkey
79656


Photographer: Jacek Kurzawa
Collection Location: Artin il Siniri, Hopa Borcka, Turkey
51051


Photographer: Michal Hoskovec
Collection Location: NE Turkey
51052

130425