New Search
Family, Subfamily and Tribe List
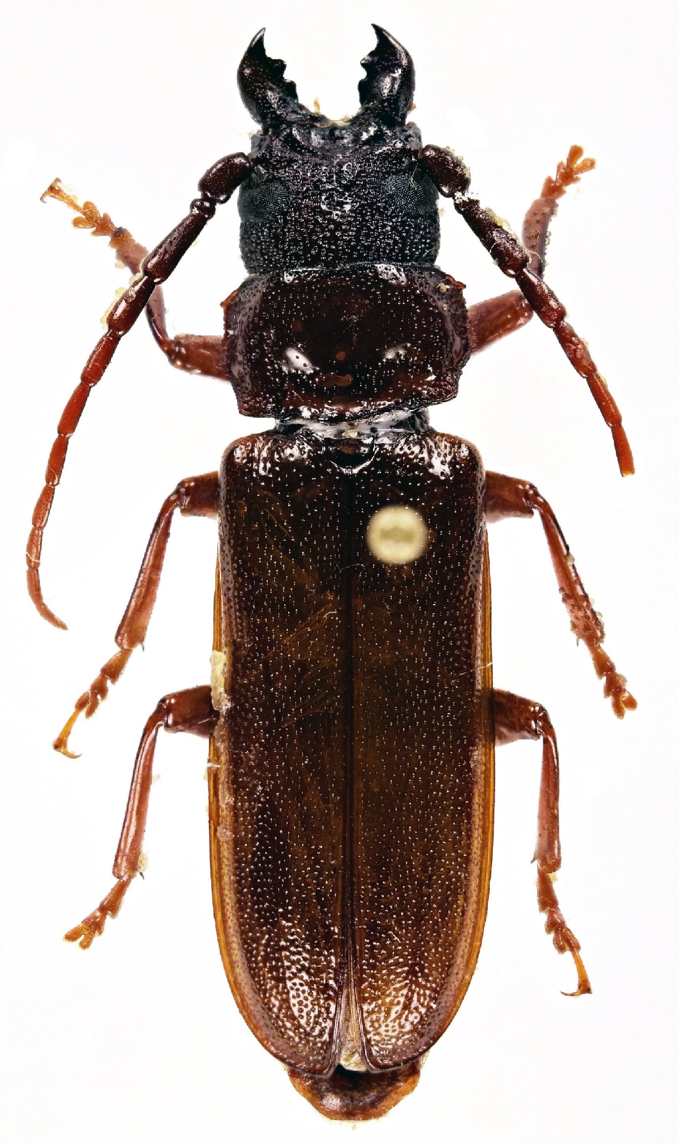
Family
Prioninae
SubFamily
Prioninae
Tribe
Callipogonini
Genus
Hephialtes
Hephialtes
mourei
Hephialtes
ruber
Hephialtes
touroulti
130503