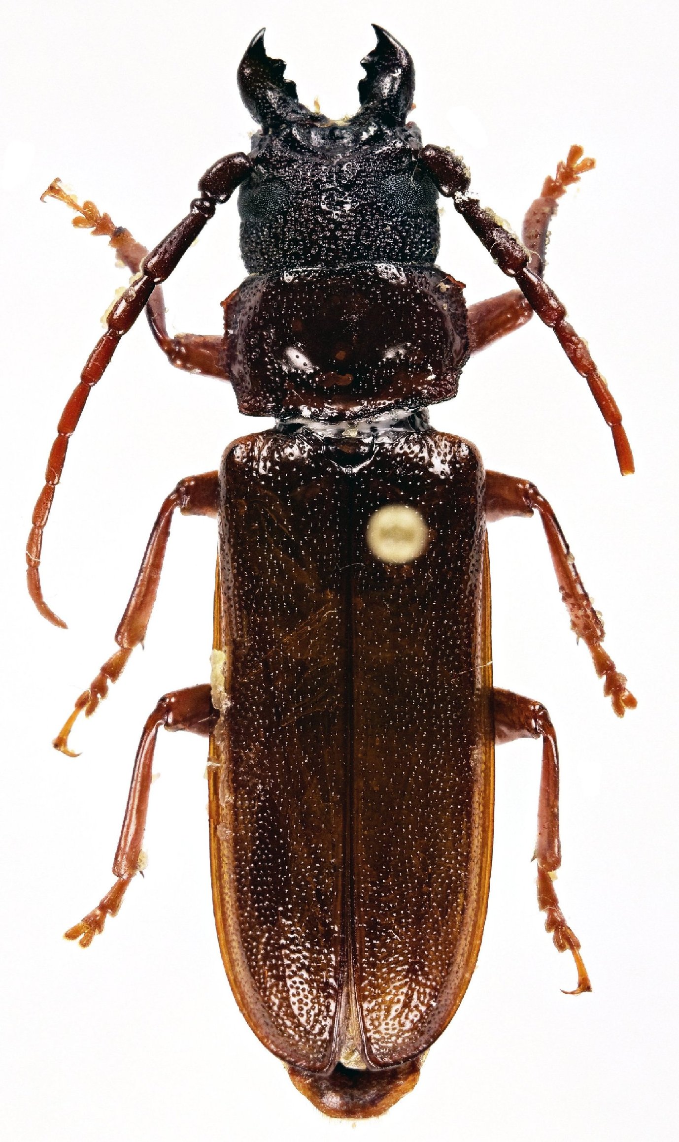
_Delahaye_INRA_Palmiste_Guadeloupe_ND.jpg)
Specimen Type: holotype Sex: m Institution: INRA Institut National de Recherches Agronomiques Photographer: Norbert Delahaye Collection Location: Palmiste, Guadeloupe 73101
|
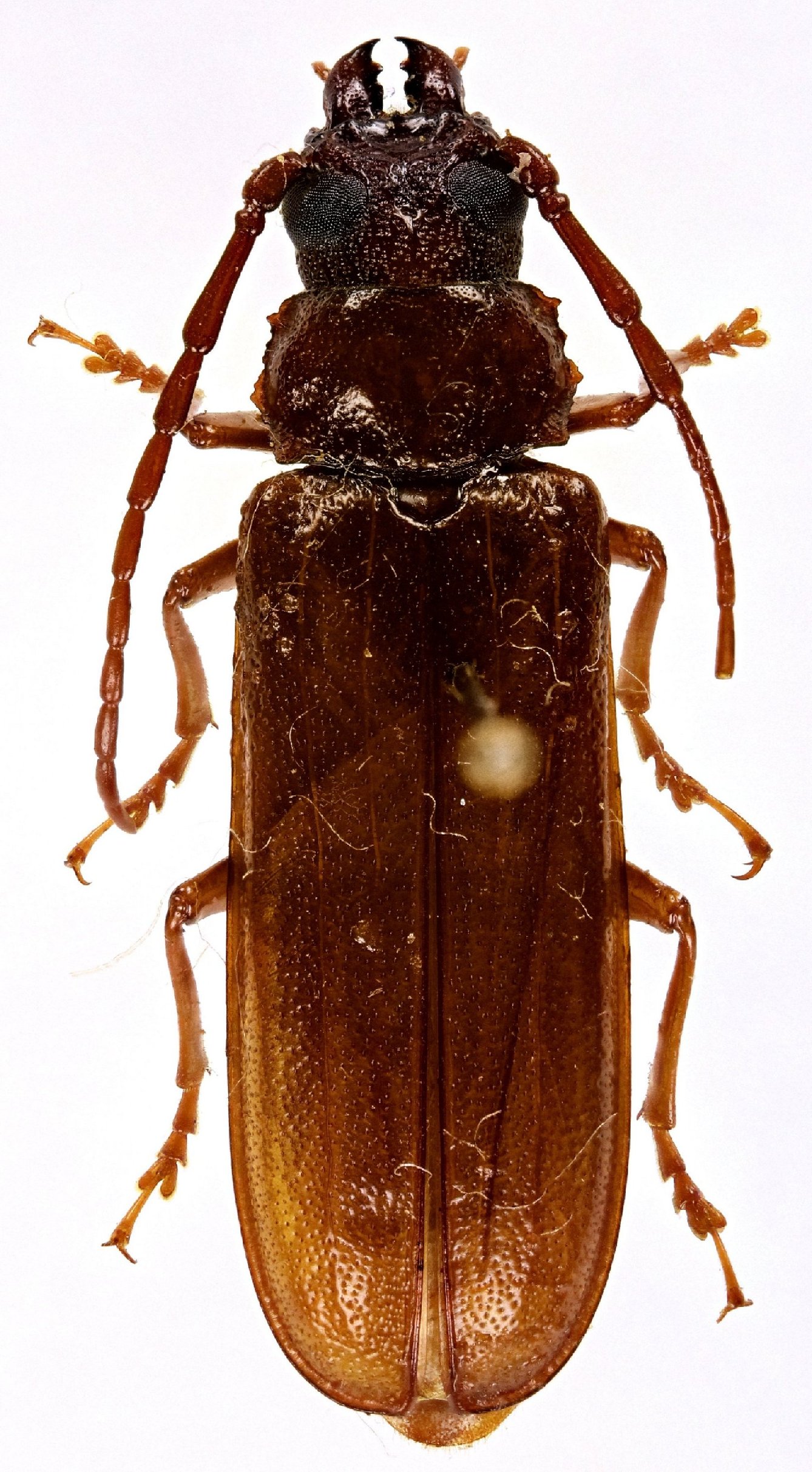
_Delahaye_INRA_Palmiste_Guadeloupe_ND.jpg)
Specimen Type: holotype Sex: m Institution: INRA Institut National de Recherches Agronomiques Photographer: Norbert Delahaye Collection Location: Palmiste, Guadeloupe 73102
|