New Search Family, Subfamily and Tribe List
new world both worldsboth worlds old world
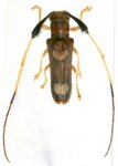
Family Lamiinae
SubFamily Lamiinae
Tribe Hemilophini

Genus Guayuriba


Guayuriba
bezarki


Guayuriba
dilaticeps

130503