_ Bates MNHN Santa Marta, Magdalena, Colombia Moure.jpg)
Amphionycha dilaticeps Bates Specimen Type: holotype Sex: f Institution: MNHN Museum of Natural History Paris, France Photographer: JS Moure Collection Location: Santa Marta, Magdalena, Colombia 91515
|
_Lane_AMNH_Rio_Guayuriba_Meta_Colombia_=_dilaticeps.jpg)
Guayuriba extrelidia Lane Specimen Type: holotype Sex: m Institution: AMNH American Museum of Natural History, New York, NY, USA Collection Location: Rio Guayuriba, Meta Colombia 27764
|
_Lane_AMNH_JAC_=_Guayuriba_dilaticeps_(Bates).jpg)
Guayuriba extrelidia Lane Specimen Type: holotype Institution: AMNH American Museum of Natural History, New York, NY, USA Photographer: John Chemsak 16697
|
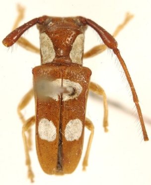
_LGB.jpg)
Photographer: Larry G. Bezark 8130
|

Photographer: Frédéric Robin Collection Location: Mont Itoupe Camopi-Maripasoula French Guiana 77578
|
|