New Search
Family, Subfamily and Tribe List
Family
Cerambycinae
SubFamily
Cerambycinae
Tribe
Tropidini Neoibidionina
Genus
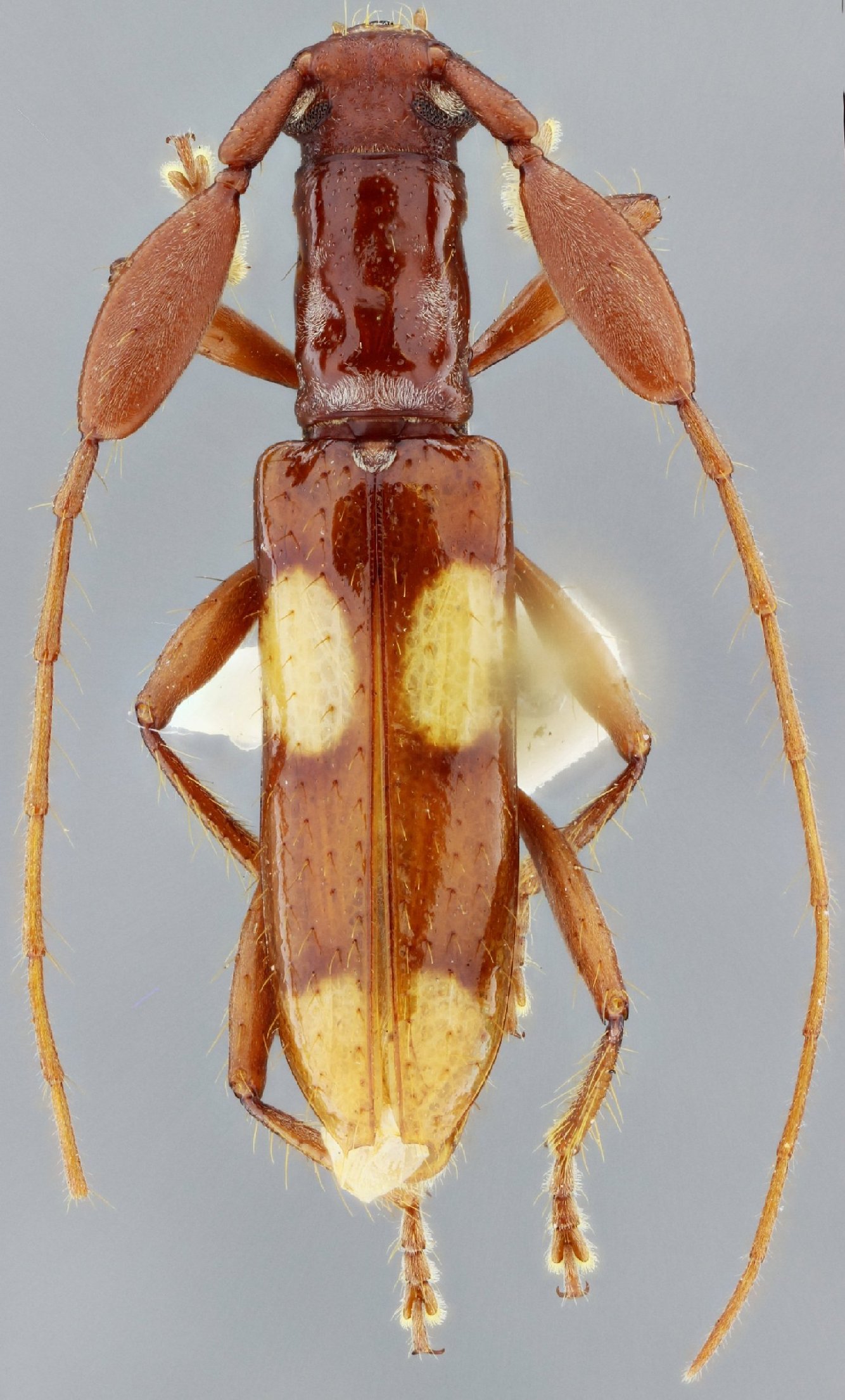
Glomibidion
Glomibidion
trinidadense
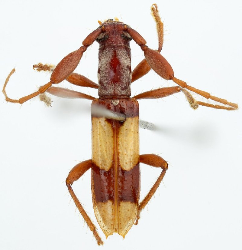
Glomibidion
tumidum
130503