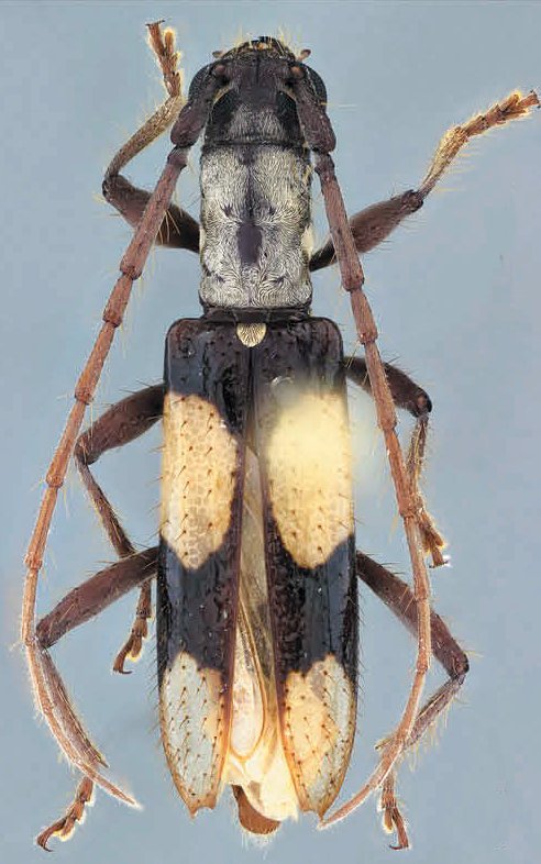
_Gilmour_CNC_St_Augustine_Trinidad_Tobago_Compsibid_Lap.jpg)
Phormesium trididadensis Gilmour Specimen Type: holotype Sex: m Institution: CNC Canadian National Collection of Insects, Ottawa, Ontario, Canada Photographer: Serge Laplante, photograph and data Determiner: Copyright of
Agriculture & Agri Food Canada Collection Location: St Augustine, Trinidad, Trinidad & Tobago 63045
|
_Gilmour_CNC_St_Augustine_Trinidad_Tobago_Compsibid_Lap.jpg)
Phormesium trididadensis Gilmour Specimen Type: holotype Sex: m Institution: CNC Canadian National Collection of Insects, Ottawa, Ontario, Canada Photographer: Serge Laplante, photograph and data Determiner: Copyright of
Agriculture & Agri Food Canada Collection Location: St Augustine, Trinidad, Trinidad & Tobago 63046
|
_Gilmour_CNC_St_Augustine_Trinidad_Tobago_Compsibid_Lap.jpg)
Phormesium trididadensis Gilmour Specimen Type: holotype Sex: m Institution: CNC Canadian National Collection of Insects, Ottawa, Ontario, Canada Photographer: Serge Laplante, photograph and data Determiner: Copyright of
Agriculture & Agri Food Canada Collection Location: St Augustine, Trinidad, Trinidad & Tobago 63047
|
_Gilmour_CNC_St_Augustine_Trinidad_Tobago_Compsibid_Lap.jpg)
Phormesium trididadensis Gilmour Specimen Type: holotype Sex: m Institution: CNC Canadian National Collection of Insects, Ottawa, Ontario, Canada Photographer: Serge Laplante, photograph and data Determiner: Copyright of
Agriculture & Agri Food Canada Collection Location: St Augustine, Trinidad, Trinidad & Tobago 63048
|
_(Gilmour)_MPUJ_San_Jacinto_Res_La_Flecha_Bolivar_COL_Botero.jpg)
Sex: f Institution: MPUJ Pontificia Universidad Javeriana, Bogota, Colombia Photographer: Juan Pablo Botero Collection Location: San Jacinto Reserve, La Flecha, Bolivar, Colombia 69248
|
_(Gilmour)_MPUJ_San_Jacinto_Res_La_Flecha_Bolivar_COL_Botero.jpg)
Sex: f Institution: MPUJ Pontificia Universidad Javeriana, Bogota, Colombia Photographer: Juan Pablo Botero Collection Location: San Jacinto Reserve, La Flecha, Bolivar, Colombia 69249
|
_(Gilmour)_MPUJ_San_Jacinto_Res_La_Flecha_Bolivar_COL_Botero.jpg)
Sex: f Institution: MPUJ Pontificia Universidad Javeriana, Bogota, Colombia Photographer: Juan Pablo Botero Collection Location: San Jacinto Reserve, La Flecha, Bolivar, Colombia 69250
|
_(Gilmour)_MPUJ_San_Jacinto_Res_La_Flecha_Bolivar_COL_Botero.jpg)
Sex: f Institution: MPUJ Pontificia Universidad Javeriana, Bogota, Colombia Photographer: Juan Pablo Botero Collection Location: San Jacinto Reserve, La Flecha, Bolivar, Colombia 69251
|
|