New Search
Family, Subfamily and Tribe List
Family
Lamiinae
SubFamily
Lamiinae
Tribe
Pteropliini
Genus
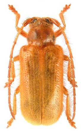
Galofus
Galofus
decemmaculatus
Galofus
immaculatus
Galofus
quadrimmaculatus
Galofus
sexmaculatus
130503