New Search Family, Subfamily and Tribe List

SubFamily Lamiinae

Tribe Pteropliini
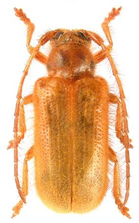
Galofus immaculatus Holzschuh 2017

Specimen Type: holotype
Sex: f
Institution: Holzschuh Collection
Photographer: Luboš Dembický
Collection Location: Ban Saluei, Mt Phu Phan, Hua Phan Province, Laos
76239

130425