New Search Family, Subfamily and Tribe List
new world both worldsboth worlds old world
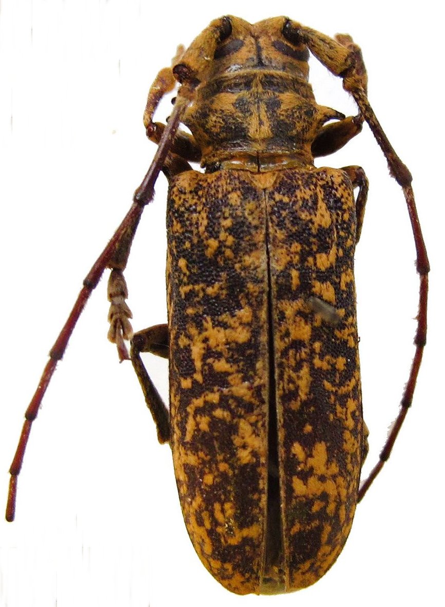
Family Lamiinae
SubFamily Lamiinae
Tribe Lamiini

Genus Falsomecynippus


Falsomecynippus
ciliatus


Falsomecynippus
superbus

130503