_Gahan_BMNH_China_Helena Maratheftis.jpg)
Monohammus ciliatus Gahan Specimen Type: syntype Institution: BMNH British Museum Natural History, London, UK Photographer: Helena Maratheftis Collection Location: China 65891
|
_Breuning_ZMB_Weigel.jpg)
Mimothestus delkeskampi Breuning Specimen Type: holotype Sex: f Institution: ZMHB Museum für Naturkunde der Humboldt-Universität, Berlin, Germany Photographer: Andreas Weigel Collection Location: Lung-tao-shan, Kwangtung, China 53705
|
_Breuning_BPBM_Nobuo_Ohbay.jpg)
Monochamus rondoni Breuning Specimen Type: holotype Sex: f Institution: BPBM Bernice P. Bishop Museum, Honolulu, Hawaii, USA Photographer: Nobuo Ohbayashi Collection Location: Plaine des Jarres, région de Xieng Khouang, Laos 44740
|
_Br_BPBM_Xieng_Khouang_reg_Laos_NO.jpg)
Monochamus rondoni Breuning Specimen Type: holotype Sex: f Institution: BPBM Bernice P. Bishop Museum, Honolulu, Hawaii, USA Photographer: Nobuo Ohbayashi Collection Location: Plaine des Jarres, région de Xieng Khouang, Laos 44741
|
_Br_BPBM_Xieng_Khouang_reg_Laos_NO.jpg)
Monochamus rondoni Breuning Specimen Type: holotype Sex: f Institution: BPBM Bernice P. Bishop Museum, Honolulu, Hawaii, USA Photographer: Nobuo Ohbayashi Collection Location: Plaine des Jarres, région de Xieng Khouang, Laos 44742
|
_Br_BPBM_Xieng_Khouang_reg_Laos_NO.jpg)
Monochamus rondoni Breuning Specimen Type: holotype Sex: f Institution: BPBM Bernice P. Bishop Museum, Honolulu, Hawaii, USA Photographer: Nobuo Ohbayashi Collection Location: Plaine des Jarres, région de Xieng Khouang, Laos 44743
|
_Br_BPBM_Xieng_Khouang_reg_Laos_NO.jpg)
Monochamus rondoni Breuning Specimen Type: holotype Sex: f Institution: BPBM Bernice P. Bishop Museum, Honolulu, Hawaii, USA Photographer: Nobuo Ohbayashi Collection Location: Plaine des Jarres, région de Xieng Khouang, Laos 44744
|

Sex: mf Photographer: Wen Bi Determiner: Journal of Insect Biodiversity Collection Location: Jiangxi, China 52177
|

Institution: LGBC Larry G. Bezark Collection, Sacramento, California, USA Photographer: Larry G. Bezark Determiner: Xavier Gouverneur, Cerambycoidea Forum Collection Location: Ban Panghai, Xaignabouri Province, Laos 52397
|

Institution: LGBC Larry G. Bezark Collection, Sacramento, California, USA Photographer: Larry G. Bezark Determiner: Xavier Gouverneur, Cerambycoidea Forum Collection Location: Ban Panghai, Xaignabouri Province, Laos 52398
|

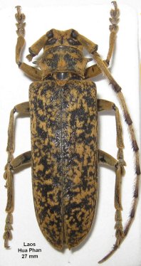
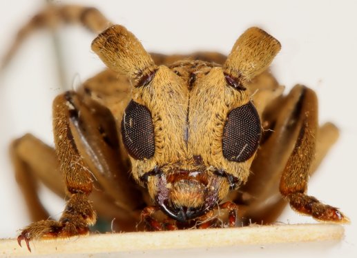
Mimothestus delkeskampi Breuning Photographer: Robert Vigneault, Cerambycoidea Forum Collection Location: Hua Phan, NE Laos 53703
|

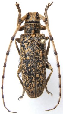
Mimothestus delkeskampi Breuning Photographer: Xavier Gouverneur, Cerambycoidea Forum Collection Location: Hua Phan, NE Laos 53704
|
|