New Search Family, Subfamily and Tribe List
new world both worldsboth worlds old world
Family Cerambycinae
SubFamily Cerambycinae
Tribe Eligmodermini

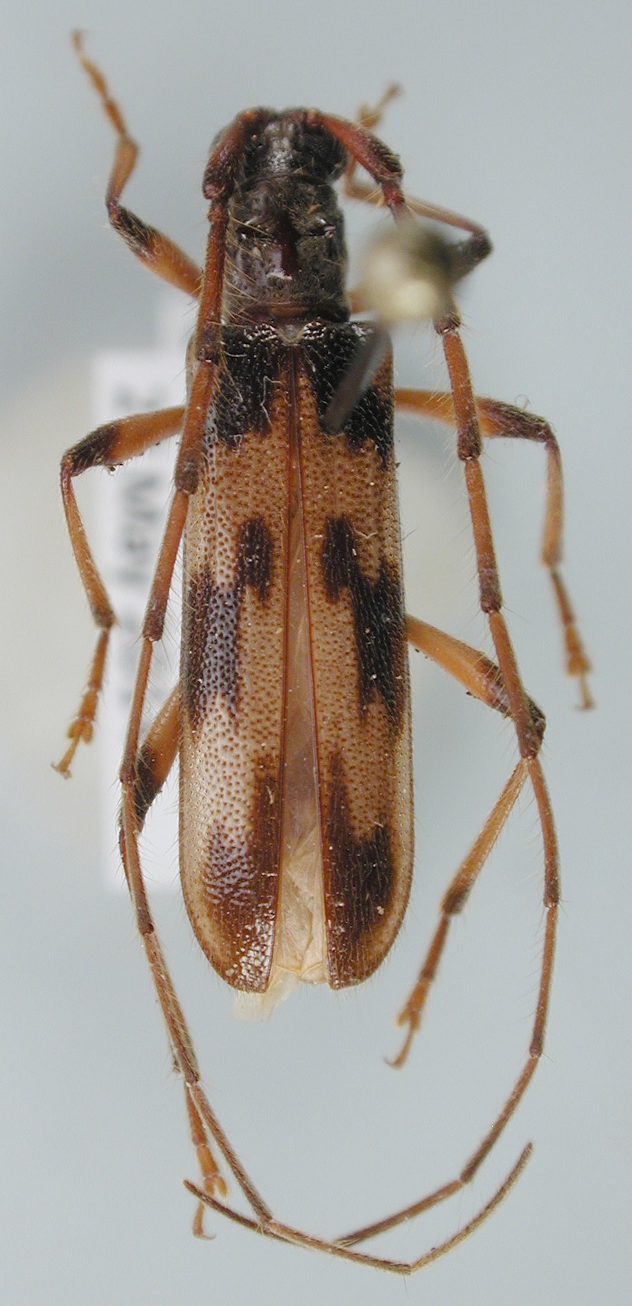
Genus Eligmoderma


Eligmoderma
aragua


Eligmoderma
convexicolle


Eligmoderma
ibidionoides


Eligmoderma
lara


Eligmoderma
minuta

Eligmoderma
politum
 
Eligmoderma
trifasciatum
 
Eligmoderma
ziczac
 
130503