_G_and_M_NMNH_13kmSE_Sanare_Yacambu_NP_Lara_Venez_LGB.jpg)
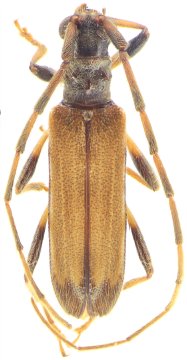
Specimen Type: holotype Sex: f Institution: NMNH United States National Museum, Washington, DC, USA Photographer: Larry G. Bezark Collection Location: 13 km SE Sanare, Yacambu National Park, Lara, Venezuela 37013
|

Specimen Type: holotype Sex: f Institution: NMNH United States National Museum, Washington, DC, USA Collection Location: 13 km SE Sanare, Yacambu National Park, Lara, Venezuela 37014
|