New Search
Family, Subfamily and Tribe List
Family
Lamiinae
SubFamily
Lamiinae
Tribe
Desmiphorini
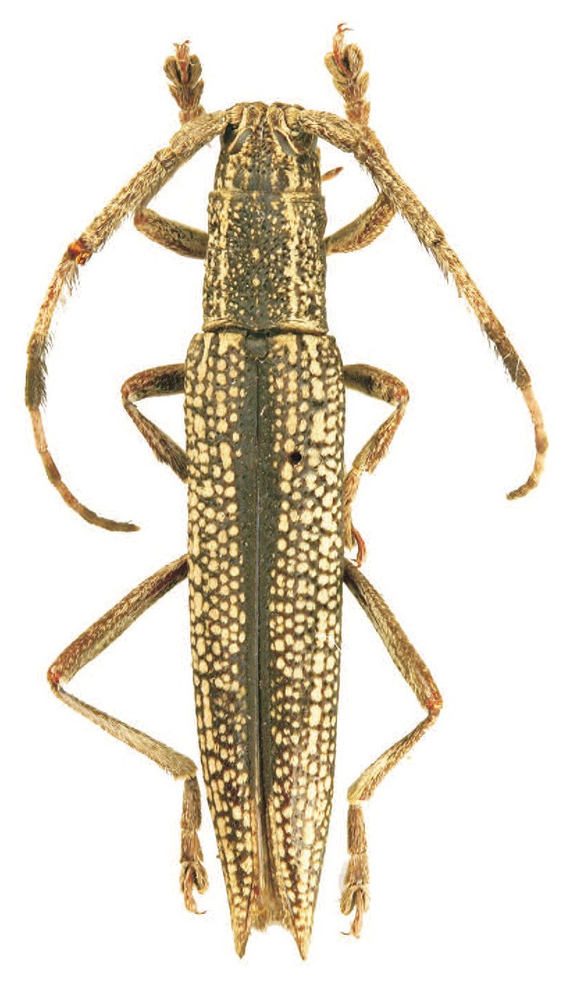
Genus
Ectatosia
Ectatosia
invitticollis
Ectatosia
maculosa
Ectatosia
moorei
Ectatosia
sumatrensis
130503