_Pascoe_Borneo.jpg)
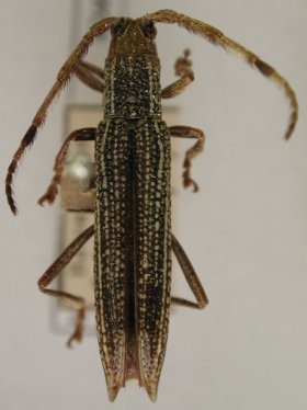
Specimen Type: holotype Institution: BMNH British Museum Natural History, London, UK Collection Location: Java 38576
|
_Pascoe_E_Borneo_Tabang_Bengen_River.jpg)
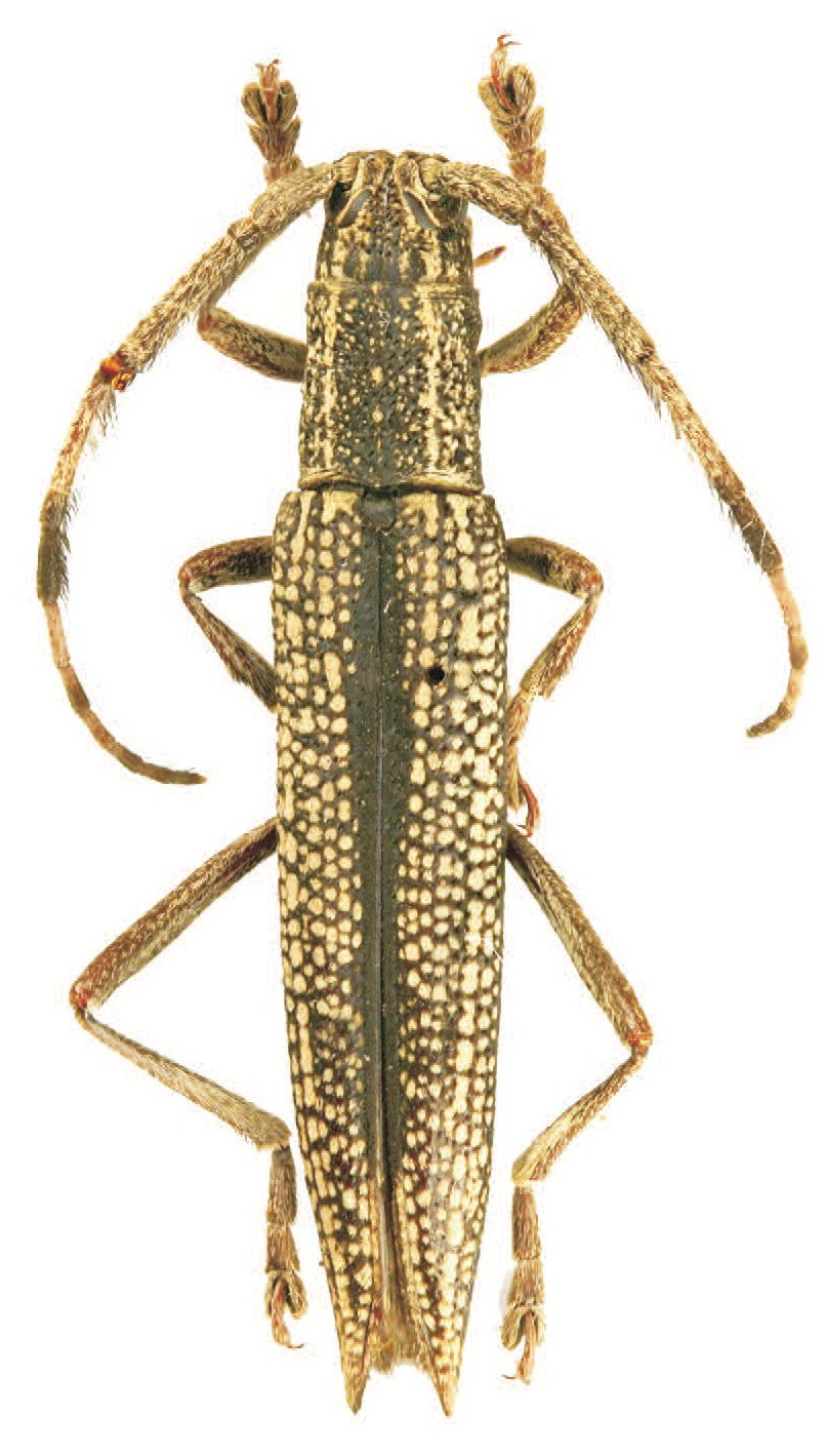
Sex: f Photographer: Makihara Collection Location: Bengen River, Tabang, Borneo 38577
|
 Pascoe Brastaga, Sumatra, Indonesia Vives coll pic.jpg)
Sex: m Institution: Vives Collection Photographer: Eduard Vives Collection Location: Brastaga, Sumatra, Indonesia 96928
|

Institution: LIPI Lembaga Ilmu Pengetahuan, Bogor, Indonesia Photographer: Larry G. Bezark Collection Location: Batoerraden, G Slamet, West Java 43547
|

Institution: LIPI Lembaga Ilmu Pengetahuan, Bogor, Indonesia Photographer: Larry G. Bezark Collection Location: Batoerraden, G Slamet, West Java 43548
|
|